Rapport d'enquête aéronautique A08O0035

Sortie en bout de piste
du Boeing 737-700 C-GLWS
de WestJet Airlines
à Ottawa (Ontario)

Le Bureau de la sécurité des transports du Canada (BST) a enquêté sur cet événement dans le but de promouvoir la sécurité des transports. Le Bureau n’est pas habilité à attribuer ni à déterminer les responsabilités civiles ou pénales. Le présent rapport n’est pas créé pour être utilisé dans le contexte d’une procédure judiciaire, disciplinaire ou autre. Voir Propriété et utilisation du contenu.

Table des matières

    Résumé

    Le Boeing 737-700 (immatriculation C-GLWS, numéro de série 32581) assurant le vol WestJet 846 et transportant 86 passagers et 6 membres d'équipage, effectue un vol à horaire fixe entre Calgary (Alberta) et Ottawa (Ontario). L'avion est autorisé à faire une approche selon le système d'atterrissage aux instruments de la piste 07 à l'aéroport international MacDonald-Cartier d'Ottawa. L'équipage est prévenu qu'il y a un fort vent arrière en approche, mais que celui-ci diminue pour devenir nul au toucher des roues. Divers rapports font état d'un freinage qualifié parfois de mauvais, parfois de passable. À 22 h 58, heure normale de l'Est, l'avion se pose mais il ne peut s'arrêter avant l'extrémité de la piste. L'avion finit par s'immobiliser environ 200 pieds au-delà de l'extrémité départ de la piste 07. Personne n'est blessé parmi les passagers et membres d'équipage, et l'avion n'est pas endommagé.

    Renseignements de base

    Séquence des événements

    Environ 1 heure et 20 minutes avant le départ, le régulateur de vol de service a procédé aux premières opérations visant à autoriser le départ du vol 846 de WestJet (WJA 846). L'un des inverseurs de poussée de l'avion ne fonctionnait pas, mais, conformément à l'article 78-1-1 de la liste d'équipement minimal (MEL) de WestJetFootnote 1, l'avion pouvait tout de même être autorisé à partir. Le régulateur de vol a établi que les prévisions météorologiques d'Ottawa allaient nécessiter une approche de précision, ce qui signifiait l'utilisation de la piste 07. Au moment de la préparation du vol, le coefficient canadien de frottement sur piste (CRFI) était de 0,28 à Ottawa, et des rapports faisaient état de pluie verglaçante et d'un vent traversier calculé à 16 nœuds. L'aérodrome de dégagement prévu était celui de Windsor (Ontario), et 200 livres de carburant supplémentaire ont été chargées pour faire face aux imprévus en cas d'éventuels retards à l'arrivée.

    Les membres d'équipage devaient être appariés pendant plusieurs vols le jour de l'événement. Ils avaient pris leur service à l'aéroport international de Vancouver vers 10 hFootnote 2 afin d'assurer un vol partant tôt le matin. Après les trois premiers vols, ils avaient bénéficié d'une période de repos en escale de trois heures à Calgary (Alberta) avant d'assurer le vol dont il est question ici. Le copilote a été le premier membre d'équipage à se présenter à la porte d'embarquement à Calgary, où on lui a dit que l'équipage devait appeler la régulation des vols de la compagnie avant de monter à bord. Le copilote a appelé la régulation des vols et a discuté de la situation de l'avion par rapport à la MEL, du choix de l'aérodrome de dégagement, de l'emport de carburant supplémentaire ainsi que d'une éventuelle contamination de la piste et des limites du vent traversier à Ottawa.

    Le copilote a été le pilote aux commandes (PF) pendant le vol vers Ottawa, le commandant de bord étant le pilote qui n'est pas aux commandes (PNF). Pendant l'approche et l'atterrissage, le commandant de bord a donné des conseils au copilote à propos du profil de descente, de la gestion de la vitesse et des changements de configuration.

    Avant la descente depuis l'altitude de croisière, à savoir le niveau de vol (FL) 390Footnote 3, l'équipage a écouté le message Echo du service automatique d'information de région terminale (ATIS), ce qui lui a permis d'obtenir confirmation que la piste 14 (longue de 10 000 pieds) était en service. L'équipage a fait un exposé portant sur une approche de la piste 14 et il a réglé les instruments du poste de pilotage en conséquence. Pendant la descente vers Ottawa, WJA 846 a été avisé qu'il y avait eu un changement de piste en service de la piste 14 à la piste 07 et que l'ATIS en était maintenant au message Foxtrot. L'équipage a fait un exposé en prévision d'une approche à l'aide du système d'atterrissage aux instruments(ILS) de la piste 07 à partir de la procédure d'arrivée Meech Five et il a réglé les instruments du poste de pilotage en conséquence (voir l'Annexe B — Arrivée Meech Five, et l'Annexe C — Approche à l'aide du système d'atterrissage aux instruments (ILS) de la piste 07 à Ottawa.

    Au début de la descente, l'équipage a utilisé le manuel d'exploitation (FOM) de WestJet pour calculer la distance nécessaire à un atterrissage sur la piste 14, pour laquelle la distance disponible à l'atterrissage (LDA) était de 10 000 pieds. Il a établi qu'il aurait besoin de 6000 pieds. Bien que le piste 07 (dont la LDA est de 8000 pieds) mesure 2000 pieds de longueur de moins que la piste 14, l'équipage a été d'avis qu'il disposait encore d'une marge suffisante au niveau de la distance d'atterrissage en utilisant les mêmes paramètres. Il avait prévu un atterrissage volets 30 et freinage automatique 3, la vitesse de référence(Vref)Footnote 4 étant de 130 nœuds. Il n'avait pas l'intention d'utiliser l'inversion de poussée, compte tenu de l'état de la piste et de la poussée qui aurait été asymétrique puisque l'inverseur de poussée du moteur numéro 2 ne fonctionnait pas.

    Vers 22 h 45, après plusieurs séquences de descente par paliers, WJA 846 a été transféré aux contrôleurs de l'unité de contrôle terminal d'Ottawa faisant partie du centre de contrôle régional (ACC) de Montréal, et il a été autorisé à se rendre à l'intersection MODONFootnote 5 et à maintenir 6000 pieds au-dessus du niveau de la mer (asl). L'équipage a été avisé que les renseignements à jour de l'ATIS se trouvaient maintenant dans le message Golf. Un examen du système embarqué de communications, d'adressage et de compte rendu (ACARS)Footnote 6 de l'avion a montré que l'équipage avait fait plusieurs demandes de mise à jour des renseignements de l'ATIS après avoir été avisé des modifications apportées à ces renseignements.

    À 22 h 46, un Embraer 170 s'est posé sur la piste 07. L'équipage a fait savoir à la tour d'Ottawa que le freinage était mauvais et qu'il y avait un fort vent arrière en approche. Il a également indiqué que ce vent arrière avait diminué pour être nul au moment de l'atterrissage et qu'il n'y avait pas de cisaillement du vent. La tour d'Ottawa a transmis au contrôle terminal d'Ottawa les renseignements sur le vent mais a omis celui sur la qualité du freinage. À 22 h 47, le contrôle d'Ottawa a communiqué les renseignements sur le vent à WJA 846. L'équipage a discuté de la nécessité de mettre l'avion en configuration d'approche plus tôt en raison du vent. À 22 h 48, les aérofreins ont été déployés afin qu'il y ait réduction de la vitesse au-dessous de 250 nœuds avant la descente au-dessous de 10 000 pieds asl. À 22 h 50, l'avion est passé à 10 000 pieds en descente et l'équipage a terminé la liste de vérifications en descente et en approche. Le réglage du freinage automatique sur 3 a été confirmé.

    Pour calculer le taux de descente permettant de suivre une trajectoire de descente de 3°, il suffit de multiplier la vitesse-sol par cinqFootnote 7. Par exemple, une vitesse-sol de 120 nœuds va demander un taux de descente de 600 pieds par minute. Si la vitesse augmente à 180 nœuds, il faudra alors prendre un taux de descente de 900 pieds par minute. Plus la vitesse-sol est élevée, plus il faut prendre un taux de descente élevé pour rester sur la trajectoire de descente. De plus, une augmentation de la vitesse-sol réduit le temps dont dispose l'équipage pour corriger le profil d'approche avant d'arriver au seuil de la piste.

    Vers 22 h 50, l'avion a été autorisé à poursuivre sa descente vers 4000 pieds, en plus de recevoir l'autorisation de faire une approche ILS de la piste 07 en passant par VISOLFootnote 8. Pendant les cinq minutes qui ont suivi, l'équipage s'est concentré sur la gestion de l'énergie de l'avion, le but étant de survoler VISOL à une vitesse de 170 à 175 nœuds. Pendant ce temps, les manettes des gaz étaient en position de ralenti, les aérofreins étaient déployés et les volets avaient été réglés sur 5. À 22 h 54 min 40, à l'approche de VISOL, le virage en approche finale a débuté. L'avion se trouvait alors à une altitude de 4300 pieds et avait une vitesse de 169 nœuds. Pendant le virage, les aérofreins ont été rentrés, le train d'atterrissage a été sorti et les volets ont été réglés sur 15. À 22 h 55 min 12, WJA 846 a reçu l'instruction de contacter la tour d'Ottawa. Une minute plus tard, l'équipage s'est rendu compte de la présence d'une composante de vent arrière de 74 nœuds. À 22 h 55 min 42, l'équipage a constaté que l'écran principal de vol (PFD) indiquait que les signaux des trajectoires de descente et l'alignement de piste avaient été captés, et il a commencé à passer en revue la liste de vérifications à l'atterrissage; au cours de cette revue, les aérofreins ont été armés. L'équipage a établi le contact visuel avec la piste au moment de l'interception de la trajectoire de descente.

    À 22 h 56 min 32, il y a eu interception de la trajectoire de descente et, conformément aux procédures d'utilisation normalisées (SOP) de la compagnie, les volets auraient dû être réglés sur 30. Toutefois, la vitesse de l'avion était trop élevée pour un tel réglage, et les aérofreins ont été déployés afin de réduire la vitesse. L'équipage n'avait pas encore contacté la tour d'Ottawa et, à 22 h 57 min 6, cette dernière a demandé à WJA 846 s'il était sur la fréquence. S'en est suivi un échange de communications de 20 secondes au cours duquel plusieurs activités se sont déroulées simultanément dans le poste de pilotage. L'équipage de WJA 846 a fait savoir qu'il était aux prises avec un fort vent arrière et qu'il lui faudrait peut-être remettre les gaz. À environ 1500 pieds au-dessus du sol (agl), l'équipage a débrayé le pilote automatique afin de se mettre en palier et de réduire la vitesse pour pouvoir régler les volets sur 30. Puis les aérofreins ont été rentrés sans être réarmés en prévision de l'atterrissage, et les volets ont été réglés sur 30. En approche finale, la vitesse a varié entre 145 et 177 nœuds (voir l'Annexe D — Tracé de l'enregistreur de données de vol couvrant les 10 derniers milles marins).

    À 22 h 57 min 14, la tour de contrôle a autorisé WJA 846 à atterrir et a signalé que le vent arrière était apparemment censé diminuer d'ici au toucher des roues. Le contrôleur a ajouté que le vent en surface soufflait du 130° magnétique à 6 nœuds. À 22 h 57 min 26, soit 46 secondes avant le toucher des roues, WJA 846 a été autorisé une seconde fois à atterrir, tout en étant avisé que divers rapports avaient fait état d'un freinage qualifié parfois de passable, parfois de mauvais. L'équipage n'a pas accusé réception de cet avis, pas plus qu'il s'est souvenu de l'avoir entendu. Rien n'oblige à systématiquement accuser réception des renseignements sur la qualité du freinage qui sont reçus.

    Immédiatement après le réglage des volets sur 30 et la conversation avec la tour, l'équipage s'est interrogé pendant un bref instant sur l'obligation de faire une approche interrompue. La décision a été reportée, quand bien même l'avion était presque à 1000 pieds au-dessus de l'altitude de l'aérodrome. À 1000 pieds comme tel, les paramètres de vol de l'avion étaient les suivants : configuration d'approche finale, manettes de gaz au ralenti, vitesse de 145 nœuds et avion au-dessus de la trajectoire de descente. Exception faite de la mise en palier momentanée, les manettes de gaz sont restées au ralenti pendant toute l'approche finale. L'avion est demeuré au-dessus de la trajectoire de descente pendant l'approche finale, sauf pendant trois brefs instants : à trois milles marins (nm) et à ¾ nm du seuil de la piste ainsi qu'au moment du survol du seuil (à 50 pieds agl). Le taux de descente a été supérieur à 1000 pieds par minute pendant la plus grande partie de l'approche (voir le Tableau 1).

    Tableau 1. Paramètres de l'approche finale.

    * La Vref était de 130 nœuds
    ** Pieds par minute
    *** D'après les indications du PFD

    Altitude (AFE) Vitesse* Taux de descente estimé Trajectoire de descente***
    1000 pieds 145 nœuds 1394 pi/min** 2 ½ points au-dessus
    900 pieds 152 nœuds 1733 pi/min 2 ½ points au-dessus
    800 pieds 151 nœuds 1443 pi/min 2 ¼ points au-dessus
    700 pieds 157 nœuds 1500 pi/min 2 points au-dessus
    600 pieds 157 nœuds 1731 pi/min 1 ¾ point au-dessus
    500 pieds 154 nœuds 1770 pi/min 1 ½ point au-dessus
    400 pieds 161 nœuds 1632 pi/min ½ point au-dessus
    300 pieds 149 nœuds 515 pi/min ¾ point au-dessus
    200 pieds 150 nœuds 1124 pi/min 1 ¼ point au-dessus
    100 pieds 150 nœuds 1094 pi/min ¾ point au-dessus

    L'arrondi a débuté à environ 50 pieds agl et 149 nœuds (Vref + 19). À 22 h 58, l'avion s'est posé (sur les deux roues du train principal) à quelque 2300 pieds au-delà du seuil de la piste. Au moment du toucher des roues, la vitesse était de 140 nœuds, soit Vref + 10 nœuds. D'après le radioaltimètre, il y a eu réduction significative du taux de descente (flottement) avant le toucher des roues. Malgré le réglage du freinage automatique sur 3, il y a eu freinage au pied, une seconde après le toucher des roues. Au début, le commandant de bord a aidé le copilote à freiner, puis il a pris les commandes de l'avion. Les pédales de frein ont été enfoncées à fond et sont demeurées dans cette position jusqu'à l'immobilisation de l'avion. Le déploiement de l'inverseur de poussée du moteur numéro 1 a été commandé environ 1,5 seconde après le premier contact au sol de la roue principale droiteFootnote 9 et le déploiement complet a eu lieu environ 4,5 secondes après ce premier contact. L'inversion de poussée maximale a été commandée 11 secondes après le premier contact au sol de la roue principale droite et elle est demeurée à ce réglage jusqu'à l'immobilisation de l'avion. Comme les aérofreins n'avaient pas été armés, les déporteurs sol se sont déployés automatiquement au moment de l'inversion de poussée. Il y a eu déploiement complet des déporteurs sol environ deux secondes après le premier contact au sol de la roue principale droite. L'avion est sorti en bout de piste à 40 nœuds et il a parcouru 215 pieds au-delà de l'extrémité de la piste (voir la Figure 1). Il y avait environ deux pieds de neige à cet endroit.

    Figure 1. Schéma des lieux
    Image
    Figure of Schéma des lieux

    Le contrôleur a déclenché l'alarme en cas d'accident à 22 h 59. Peu après, WJA 846 a demandé l'intervention des véhicules d'urgence et a fait savoir que l'avion se trouvait au-delà de l'extrémité de la piste 07. Red 1Footnote 10 a contacté la tour d'Ottawa à 22 h 59 min 50 et il a été mis au courant de la nature et de l'endroit de l'incident. Le contrôleur de la tour a autorisé le véhicule d'intervention d'urgence à pénétrer sur la piste. Malgré la présence de cartes quadrillées d'aéroport tant dans la tour que dans les véhicules au sol, ces cartes n'ont pas été utilisées pour fournir les coordonnées de l'endroit où se trouvait l'avion. Le paragraphe 302.206(4) du Règlement de l'aviation canadien (RAC) exige que des cartes quadrillées soient disponibles, mais il n'en impose pas l'utilisation.

    Peu après l'arrivée des véhicules d'intervention d'urgence, on a demandé à WJA 846 de passer sur une fréquence discrète à des fins de coordination des opérations. Le commandant de bord ayant déterminé qu'une évacuation d'urgence n'était pas nécessaire, les passagers et l'équipage ont attendu l'arrivée d'une passerelle pour pouvoir sortir de l'avion. Les passagers ont été transportés à l'aérogare par autobus.

    Renseignements sur l'équipage

    Le commandant de bord était certifié et qualifié pour le vol conformément à la réglementation en vigueur. Il totalisait 15 000 heures de vol, dont 2750 sur Boeing 737 et, parmi ces dernières, 450 avaient été accomplies comme commandant de bord. Le commandant de bord avait été de repos entre le 11 et le 16 février 2008.

    Le copilote était certifié et qualifié pour le vol conformément à la réglementation en vigueur. Il totalisait 8000 heures de vol, dont 100 sur Boeing 737. Il était arrivé récemment dans la compagnie et il avait passé son premier contrôle de compétence pilote (CCP) sur Boeing 737 le 8 décembre 2007. Il avait terminé sa formation préparatoire au vol en ligne le 1er janvier 2008. Il avait volé pour la dernière fois le 12 février 2008 et il était apparié au commandant de bord depuis le matin du jour où est survenu l'événement.

    Au moment des faits, l'équipage avait pris son service environ 13 heures auparavant, repos en escale de 3 heures à Calgary compris.

    L'aéronef

    Il était apparu le 16 février 2008 que l'inverseur de poussée du moteur numéro deux ne fonctionnait pas. Le personnel de maintenance avait reporté la réparation conformément à la MEL, et la poignée de l'inverseur de poussée du moteur numéro deux avait été verrouillée. Des travaux de maintenance effectués après les faits n'ont permis de découvrir aucune anomalie touchant les moteurs, le circuit de freinage ou les commandes de vol.

    L'enregistreur de la parole dans le poste de pilotage (CVR) et l'enregistreur de données de vol (FDR) ont été récupérés, et ils ont fourni des renseignements utiles aux enquêteurs.

    Renseignements sur l'aéroport

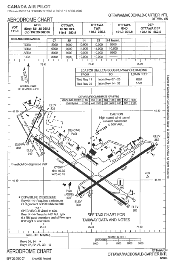
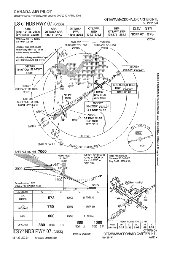
    L'aéroport international d'Ottawa possède trois pistes : la piste 07-25, qui mesure 8000 pieds de longueur sur 200 pieds de largeur et qui est bitumée; la piste 14-32, qui mesure 10 000 pieds de longueur sur 200 pieds de largeur et qui est bitumée; enfin, la piste 04-22, qui mesure 3300 pieds de longueur sur 75 pieds de largeur et qui est bitumée (voir l'Annexe A — Carte de l'aéroport d'Ottawa). La piste 14 permet les approches au VORFootnote 11 (altitude minimale de descente (MDA) de 533 pieds agl). La piste 07 permet les approches à l'ILS (hauteur de décision de 200 pieds agl). L'approche à l'ILS de la piste 07 se fait selon une trajectoire de descente de 3° à un cap magnétique d'alignement de piste de 071°. Le point d'interception au sol de la trajectoire de descente se trouve 1068 pieds au-delà du seuil de piste. L'aire de dépassement de la piste 07 est constituée d'une surface en dur large de 200 pieds qui s'étend sur 150 pieds à partir de l'extrémité de la piste. Au-delà, il y a de l'herbe sur environ 750 pieds.

    L'aéroport international d'Ottawa possède deux décéléromètres MK3 de TES Instruments qui servent à mesurer le CRFI. Les deux sont envoyés une fois par an chez le fabricant pour y être étalonnés et certifiés. La dernière certification remontait à août 2007. Tout le personnel chargé de signaler l'état de la surface et le CRFI des pistes avait suivi le 30 avril 2004 un cours sur le signalement de l'état des surfaces de mouvements d'aéronefs. Un passage en revue pré-saison des opérations hivernales a lieu avant le début de chaque hiver.

    Pour déterminer le coefficient de frottement sur piste, des lectures du décéléromètre sont faites de part et d'autre de l'axe de la piste à des intervalles de 1000 pieds. Dans le cas de la piste 07-25, on fait 14 lectures dont la moyenne sert à établir le CRFI. Il n'y a eu aucune vérification de l'étalonnage du décéléromètre après les faits.

    Données météorologiques

    Les conditions météorologiques à Ottawa le 17 février 2008 avaient changé rapidement durant toute la journée, et plusieurs modifications aux prévisions avaient été publiées. Au moment de la préparation du vol par les services de régulation, la prévision d'aérodrome (TAF) modifiée pour Ottawa qui avait été publiée le 17 février à 17 h 14 et dont la période de validité allait du 17 à 17 h au 18 à 9 h, se lisait comme suit :

    Vent du 100° vrai (V) à 10 nœuds, visibilité de 6 milles terrestres (sm) dans de la neige, de la pluie et de la bruine légères, nuages épars à 500 pieds agl, couvert nuageux à 1500 pieds agl; temporairement entre 17 h et 19 h, visibilité de 3 sm dans la pluie verglaçante et de la bruine légères, nuages épars à 500 pieds agl et couvert nuageux à 1500 pieds agl. À partir de 19 h, vent du 110°V à 10 nœuds avec rafales à 20 nœuds, visibilité de 2 sm dans de la pluie et de la bruine légères, couvert nuageux à 600 pieds agl; temporairement entre 19 h et 6 h, visibilité de ½ sm dans de la pluie et de la bruine légères avec visibilité verticale de 200 pieds.

    La TAF au moment de l'arrivée à Ottawa qui avait été publiée le 17 février à 21 h 43 et dont la période de validité allait du 17 à 22 h au 18 à 19 h, se lisait comme suit :

    Vent du 120°V à 7 nœuds, visibilité de 3 sm dans de la pluie et de la bruine légères, couvert nuageux à 900 pieds agl; temporairement entre 22 h et 24 h, visibilité supérieure à 6 sm, aucun phénomène météorologique significatif, nuages épars à 900 pieds agl, couvert nuageux à 5000 pieds agl.

    Les véritables conditions météorologiques à Ottawa le 17 février reflétaient les conditions changeantes, de nombreux bulletins spéciaux (SPECI) étant publiés en plus des bulletins horaires (METAR). Voici la liste des observations météorologiques publiées dans les heures qui ont précédé les faits :

    SPECI de 21 h 54
    Vent du 110°V à 6 nœuds, visibilité de 3 sm dans de la bruine, couvert nuageux à 800 pieds agl, température de 1 °C; remarques : 8 octasFootnote 12 de stratus fractus.

    METAR de 22 h
    Vent du 110°V à 5 nœuds, visibilité de 3 sm dans de la bruine, couvert nuageux à 800 pieds agl, température de 1 °C, point de rosée de 1 °C, calage altimétrique de 29,49 pouces de mercure (po HG); remarques : 8 octas de stratus fractus, pression au niveau de la mer de 993.

    SPECI de 22 h 34
    Vent du 100°V à 6 nœuds, visibilité de 2 sm dans de la bruine, nuages fragmentés à 1100 pieds agl, couvert nuageux à 3000 pieds agl, température de 1 °C; remarques : 2 octas de brouillard, 4 octas de stratus fractus, 2 octas de stratocumulus.

    METAR de 23 h
    Vent du 130°V à 7 nœuds, visibilité de 2 sm dans de la bruine, nuages épars à 1100 pieds agl, couvert nuageux à 3000 pieds agl, température de 1 °C, point de rosée de 1 °C, calage altimétrique de 29,45 po Hg; remarques : 2 octas de brouillard, 2 octas de stratus fractus, 4 octas de stratocumulus, lune visible, pression au niveau de la mer de 979.

    État de la surface de la piste

    Comme des précipitations verglaçantes étaient prévues, les autorités aéroportuaires ont prétraité les pistes vers 13 h à l'aide d'acétate de potassiumFootnote 13. La pluie verglaçante a commencé à tomber vers 14 h et les chutes de pluie verglaçante et de pluie se sont poursuivies jusqu'à 19 h. Du formiate de sodiumFootnote 14 a été répandu sur les deux pistes (07-25 et 14-32) vers 17 h. Les voies de sortie des pistes ont été traitées en permanence à l'aide de formiate de sodium et de sable, notamment la voie de circulation Foxtrot. Avant l'atterrissage de WJA 846, la piste 07 venait tout juste d'être sablée entre la voie de circulation Foxtrot et l'extrémité de la piste. Dans les heures qui ont précédé les faits, des rapports d'état de l'aérodrome ont été envoyés à 15 h 59, 17 h 19, 17 h 43, 18 h 20, 19 h 35, 21 h 27 et 22 h 50.

    Le rapport d'état de la surface de la piste 14 publié à 21 h 27 se lisait comme suit :

    • dégagée sur 120 pieds au centre;
    • 60 % à nu et mouillée; 40 % glacée avec plaques de verglas;
    • sablée (sur une largeur de 75 pieds);
    • traitée aux produits chimiques (sur une largeur de 100 pieds);
    • largeur restante : 40 % neige compactée et 60 % verglas;
    • coefficient de frottement – piste 14, CRFI de 0,35 à 21 h 27;
    • température de l'air de 1 °C.

    Le rapport d'état de la surface de la piste 07 publié à 21 h 27 se lisait comme suit :

    • dégagée sur 120 pieds au centre;
    • 60 % à nu et mouillée; 40 % glacée avec plaques de verglas;
    • sablée (sur une largeur de 75 pieds);
    • traitée aux produits chimiques (sur une largeur de 100 pieds);
    • largeur restante : 60 % neige compactée et 40 % verglas;
    • coefficient de frottement – piste 07, CRFI de 0,34 à 21 h 18;
    • température de l'air de 1 °C.

    Le rapport d'état de la surface de la piste 07 publié à 22 h 50 (8 minutes avant l'atterrissage) se lisait comme suit :

    • dégagée sur 120 pieds au centre;
    • 60 % à nu et mouillée; 40 % glacée;
    • présence de sable et de produits chimiques (répandus à 22 h 43);
    • largeur restante : 60 % neige compactée et 40 % verglas;
    • coefficient de frottement – CRFI de 0,35 à 22 h 44;
    • température de l'air de 1 °C.

    Après les faits, la piste 07 a été fermée par NOTAM (avis aux navigants) et aucun autre rapport de l'état de sa surface n'a été publié. Le prochain rapport d'état publié (à 0 h 40) concernait la surface de la piste 14 et il se lisait comme suit : dégagée sur 120 pieds, 70 % à nu et mouillée, 30 % glacée, présence de sable et de produits chimiques, largeur restante : 40 % neige compactée et 60 % verglas. Il y a eu une tendance à la hausse de la température et du CRFI dans les heures qui ont précédé l'atterrissage de WJA 846.

    Service automatique d'information de région terminale

    L'ATIS diffuse en boucle un enregistrement des conditions météorologiques actuelles et de l'état des pistes d'un aéroport donné. Le message Echo de l'aéroport international d'Ottawa a été publié à 21 h 59. Il comprenait l'observation météorologique spéciale de 21 h 54 ainsi que les rapports d'état de la surface des pistes 07 et 14 qui avaient été publiés à 21 h 27. La piste en service était la piste 14, et l'approche aux instruments était l'approche au VOR de la piste 14.

    Le message Foxtrot de l'aéroport international d'Ottawa a été publié à 22 h 18. On y trouvait les conditions météorologiques publiées à 22 h ainsi que les rapports d'état de la surface des pistes 07 et 14. La piste en service était maintenant la piste 07, et l'approche aux instruments était l'approche à l'ILS de la piste 07.

    Le message Golf de l'aéroport international d'Ottawa a été publié à 22 h 37. Il incluait l'observation météorologique spéciale de 22 h 34 ainsi que les rapports d'état de la surface des pistes 07 et 14 (publiés à 21 h 27). La piste en service était toujours la piste 07, et l'approche aux instruments était l'approche à l'ILS de la piste 07.

    Services de la circulation aérienne

    Les procédures de contrôle de la circulation aérienne (ATC) de tous les vols effectués aux abords de l'aéroport international d'Ottawa selon les règles de vol aux instruments (IFR) et les règles de vol à vue (VFR) sont définies dans une entente conclue entre la tour de contrôle d'Ottawa et l'ACC de Montréal. La configuration de la ou des pistes en service à Ottawa est une décision conjointe des contrôleurs de la tour d'Ottawa et de ceux de l'unité de contrôle terminal d'Ottawa de l'ACC de Montréal, et elle dépend des conditions météorologiques. L'entente prévoit que, dans des conditions météorologiques de vol à vue (VMC), c'est la tour d'Ottawa qui détermine la piste en service et que, dans des conditions météorologiques de vol aux instruments (IMC), c'est l'unité de contrôle terminal, en collaboration avec la tour d'Ottawa, qui détermine la piste en service.

    Lorsque le bulletin météorologique SPECI de 21 h 54 a été publié, le personnel de l'ACC de Montréal a mal interprété le plafond de 800 pieds, pensant à tort que la hauteur des nuages était exprimée en asl plutôt qu'en agl. Le plafond aurait alors été de 426 pieds agl (le plafond de 800 pieds asl moins l'altitude de l'aérodrome de 374 pieds), lequel aurait été inférieur à la MDA de l'approche au VOR de la piste 14 (533 pieds agl). Comme il y avait des conditions IMC, le choix de la piste en service revenait à l'ACC de Montréal. Après discussion avec la tour d'Ottawa, il a été décidé de mettre la piste 07 en service, car elle permet de faire des approches à l'ILS jusqu'à des minimums de 200 pieds agl. La direction du vent en surface variait entre 100°V et 140°V et se prêtait mieux à l'utilisation de la piste 14.

    Lorsqu'il a communiqué le message sur la qualité du freinage à un Embraer 170 et à WJA 846, le contrôleur n'a pas précisé le type d'avion qui avait fait le rapport ni l'heure du rapport, ce qui contrevenait aux dispositions du MANOPS ATCFootnote 15.

    La tour d'Ottawa est censée offrir des services de contrôle de la circulation aérienne (ATS) dans les deux langues officielles. Les messages ATIS sont diffusés en anglais et en français sur des fréquences distinctes. Les installations ATC sont équipées d'un logiciel appelé Digital ATIS qui fournit un texte à un générateur de la parole et qui permet de recueillir automatiquement certains des renseignements devant être diffusés. Les versions anglaise et française font l'objet d'entrées distinctes, et les deux versions doivent être vérifiées séparément. Une partie de la traduction est faite automatiquement par le programme, et une partie est faite de façon traditionnelle par un contrôleur. Le rapport d'état de l'aérodrome tel qu'il est reçu de l'exploitant de l'aéroport est entré manuellement et il doit être en partie traduit de façon traditionnelle dans l'autre langue officielle. La syntaxe est souvent très particulière. Le contrôleur ne peut pas se rendre compte des erreurs ou des mots que le programme ne reconnaît pas parce qu'ils ne figurent pas dans les données du générateur de la parole, tant qu'il n'est pas arrivé au processus de vérification (écoute du message). En présence d'une erreur, le programme arrête la vérification à cet endroit et exige une correction. Ce processus peut prendre du temps et empêche le contrôleur de se concentrer sur ses autres tâches. Lorsqu'un message ATIS ultérieur est préparé et qu'aucune modification n'est demandée par rapport aux renseignements entrés précédemment, il n'est pas nécessaire d'entrer le message de nouveau.

    Un examen des messages Charlie à Golf de l'ATIS diffusés le soir de l'incident a montré que les versions française et anglaise différaient. La version française contenait moins de détails sur l'état de la surface des pistes 07 et 14 que la version anglaise. Dans les cinq messages ATIS français diffusés avant l'incident, il manquait le fait que des plaques de verglas étaient présentes sur la piste 07 et que du sable avait été répandu. Quant à la piste 14, le message ATIS français n'indiquait pas que du sable avait été répandu. La correction sur l'état de l'aérodrome a été apportée après l'incident, dans le message Hotel de l'ATIS.

    Renseignements sur les SOP de l'exploitant

    Voici comment le FOM de WestJet décrit, à la page 117 de la section 4, les critères d'une approche stabilisée :

    [Traduction]
    L'approche doit être stabilisée au plus tard à 1000 pieds au-dessus de l'altitude de l'aérodrome (AFE). Boeing décrit une approche stabilisée de la façon suivante :

    • l'avion est en configuration finale d'atterrissage;
    • la puissance est réglée en fonction de la configuration de l'avion;
    • la vitesse n'est pas supérieure à la vitesse cible + 20 et tend à se rapprocher de cette vitesse cible;
    • l'avion se trouve sur la trajectoire de descente ou suit une trajectoire de descente de 3°.

    Remarque : Il convient d'éviter les taux de descente supérieurs à 1000 pieds par minute.
    Si l'approche n'est pas stabilisée à 1000 pieds AFE ou si elle devient instable au–dessous de 1000 pieds, il faut remettre les gaz.

    La page 85 de la section 4 du FOM décrit l'utilisation du circuit de freinage automatique. Ce dernier offre quatre possibilités de réglage : 1, 2, 3 et Max. Les réglages 2 ou 3 devraient être utilisés lorsqu'il faut recourir à des taux de décélération moyens sur des pistes mouillées et/ou glissantes, lorsque la distance de la course à l'atterrissage est limitée, à chaque fois qu'un inverseur de poussée ne fonctionne pas, pendant les atterrissages sur un seul moteur et pour tout atterrissage nécessitant des vitesses plus élevées qu'à l'accoutumée. Le réglage Max devrait être utilisé lorsqu'il faut recourir à des taux de décélération élevés permettant à l'avion de s'immobiliser sur une distance minimale. Le taux de décélération offert par le réglage MAX est inférieur à celui produit par un pilote qui freine à fond en appuyant sur les pédales.

    Le FOM contient des tableaux de distance d'atterrissage sur piste mouillée ou contaminée pour des volets réglés sur 15, 30 et 40. L'équipage choisit le réglage des volets en fonction de variables comme la longueur de la piste, la pente de la piste, le vent, les rapports d'état de la surface de la piste, le CRFI et les rapports sur la qualité du freinage.

    À la page 91 de la section 4 du FOM se trouve une description d'un circuit ILS classique. Les volets sont réglés sur 5 pendant le virage conventionnel en éloignement ou au moment de l'interception de la trajectoire d'approche finale. En approche finale, lorsque le signal de la trajectoire de descente est captéFootnote 16, les volets sont réglés sur 15, le train d'atterrissage est sorti et la liste des vérifications à l'atterrissage est passée en revue. Au moment de l'interception de la trajectoire de descente, les volets sont réglés sur 30 ou sur 40, selon ce que décide l'équipage.

    Calculs des performances de l'avion

    Le FOM renferme une section qui permet de calculer la distance d'atterrissage sur piste sèche ainsi qu'une autre qui permet de faire les mêmes calculs pour une piste mouillée ou contaminée. La section servant aux pistes mouillées et contaminées se divise ensuite en sous-sections, selon que des renseignements sur le CRFI soient disponibles ou non. En l'absence de renseignements sur le CRFI, l'équipage fait un ajustement à la distance sur piste sèche en se basant sur le tableau des CRFI de Transports Canada permettant de connaître les distances d'atterrissage recommandées. Les distances d'atterrissage en fonction du CRFI reposent sur un niveau de confiance de 95 %, ce qui signifie que dans plus de 19 atterrissages sur 20, la distance indiquée sera amplement suffisante, si l'atterrissage est bien exécuté et que tous les systèmes fonctionnent, pour que l'avion puisse se poser sur des pistes ayant le CRFI signalé.

    L'équipage avait calculé qu'il lui faudrait 6000 piedsFootnote 17 pour se poser sur la piste 14. Cette distance se basait sur une masse prévue à l'atterrissage de 122 513 livres, des volets réglés sur 30, pas d'inversion de poussée, des aérofreins en mode automatique, un CRFI de 0,35 (provenant de l'ATIS), une Vref de 130 nœuds et un vent du 120°V à 6 nœuds (provenant du TAF de 21 h 43). Il avait déterminé que ces chiffres permettaient également un atterrissage sur la piste 07.

    Par la suite, les enquêteurs du BST ont calculé que la distance nécessaire à l'atterrissage sur la piste 07 était d'environ 6230 piedsFootnote 18. Ce chiffre se fondait sur une masse prévue à l'atterrissage de 122 513 livres, des volets réglés sur 30, pas d'inversion de poussée, un CRFI de 0,34 (provenant de l'ATIS), une Vref de 130 nœuds et un vent du 130° magnétique à 6 nœuds (vent signalé par la tour), et il incluait un complément de 170 pieds tenant compte d'un déploiement manuel des aérofreins, ceux-ci n'ayant pas été armés en prévision de l'atterrissage.

    Les distances indiquées dans les tableaux des performances du FOM sont des distances réelles (sans facteur de correctionFootnote 19), depuis 50 pieds au-dessus du seuil de la piste jusqu'à l'arrêt de l'avion, et elles comprennent une distance de 1000 pieds dans les airs avant le toucher des roues. Ces chiffres se basent sur un passage à 50 pieds à la Vref. Les renseignements fournis par l'avionneur indiquent que les tableaux des performances supposent eux aussi une vitesse de toucher des roues approximativement égale à la vitesse de survol du seuil. Bien que la véritable vitesse de survol du seuil ait été de 149 nœuds (Vref + 19), la durée prolongée du flottement a rendu impossible l'utilisation de ce chiffre pour faire des calculs à partir des tableaux de performances du FOM.

    Par conséquent, à des fins de calcul, le BST a supposé que la vitesse de survol du seuil a été égale ou presque à la vitesse au toucher des roues. La vitesse de l'avion au toucher des roues était de 140 nœuds (Vref + 10). En faisant un ajustement à la Vref pour tenir compte des 10 nœuds supplémentaires, on obtient une distance nécessaire à l'atterrissage d'environ 6800 pieds. Si l'on soustrait les 1000 pieds passés dans les airs, on obtient une course à l'atterrissage de quelque 5800 pieds. Comme les tableaux des CRFI mentionnés plus haut donnent des résultats prudents, la longueur indiquée de la course au sol sera plus importante que la véritable longueur de la course au sol de l'avion, selon les conditions. Les calculs du BST faits à partir des données du FDR montrent que la longueur de la course au sol a été d'environ 6200 pieds. Cette estimation de la longueur de la course au sol correspond à la distance que l'avion aurait parcourue s'il était resté sur une surface ayant le même coefficient de freinage.

    Le FOM indique que les tableaux des performances sur des pistes limitées par le CRFI supposent un freinage automatique réglé sur Max. Le FOM ne définit pas ce qu'est une piste limitée par le CRFI. Pendant l'enquête, il a été demandé à des équipages de WestJet de définir une piste limitée par le CRFI, et les réponses ont varié.

    Si les aérofreins sont armés en prévision de l'atterrissage, les déporteurs sol vont se déployer entre 0,1 et 0,3 seconde après l'activation du contacteur air-sol, ce qui est dû à un délai dans le processus interne. Si les aérofreins ne sont pas armés au moment du recours à l'inversion de poussée, le déploiement des déporteurs sol est presque instantané. Il faut environ une seconde pour que les panneaux des déporteurs se déploient entièrement.

    Calculs des performances par Boeing

    Afin de mieux comprendre les facteurs ayant joué un rôle pendant la phase de la course au sol de l'avion à l'atterrissage, il a été demandé à l'avionneur, Boeing Commercial Aircraft (ci-après Boeing), d'effectuer les tâches suivantes afin d'aider à l'enquête :

    • faire une estimation du coefficient de freinage de l'avion au moment des faits;
    • faire une estimation de la course au sol de l'avion en question à partir de différents scénarios d'atterrissage.

    Le coefficient de freinage d'un avion est une valeur calculée comme étant le rapport entre la force de décélération produite par les freins d'un avion et les forces qui agissent normalement sur cet avion. Le coefficient de freinage est un terme générique qui incorpore les effets de la surface de la piste, des contaminants et des dispositifs de freinage de l'avion (comme l'efficacité du système d'antidérapage, l'usure des freins et l'état des pneus). Par conséquent, le coefficient de freinage d'un avion n'est pas équivalent au coefficient de frottement des pneus sur le sol qui serait mesuré par un véhicule au sol à l'aéroport chargé d'évaluer l'état de la surface d'une piste.

    Le coefficient de freinage de l'avion donne une représentation des caractéristiques de la piste entre le point où il y a eu toucher des roues et celui où l'avion a quitté la piste. Le coefficient de freinage de l'avion en question, tel qu'il a été calculé par Boeing, était d'environ 0,05. Ce chiffre est cohérent avec un état de piste qualifié de « mauvais » (glace standard, glace mouillée) tel qu'il figure dans l'index des procédures du Boeing 737. D'après une table de conversionFootnote 20 montrant la relation entre le coefficient de freinage d'avion et le CRFI, un coefficient de freinage d'avion de 0,05 équivaut à un CRFI de 0,08. Le CRFI signalé de 0,34 correspond à un coefficient de freinage de l'avion d'environ 0,16.

    L'analyse de la course au sol a été faite à l'aide d'un logiciel d'application mis au point par Boeing appelé mesure des performances à basse vitesse (LSPS). Ce programme est censé prédire les véritables performances d'un avion, et il fait certaines suppositions quant à l'utilisation de l'avion. Il suppose que l'entrée en action des dispositifs de décélération survient rapidement après le toucher des roues et que les inverseurs de poussée cessent d'être utilisés à une vitesse de 60 nœuds, conformément aux procédures recommandées de Boeing. Les résultats n'ont pas tenu compte de la partie qui s'est déroulée dans les airs, et aucun facteur de correction n'a été appliqué. Le Tableau 2 présente une sélection des calculs entourant les divers scénarios retenus par Boeing, lesquels montrent les effets découlant des variations de la vitesse d'atterrissage et de l'état de la piste :

    Tableau 2. Calculs de Boeing
    Vitesse au toucher des roues Aérofreins Nombre d'inverseurs Réglage de l'inversion Coefficient (μ) de freinage de l'avion Course au sol
    130 nœudsFootnote 21 Auto 1 Cran 2 0,05 6500 pieds
    130 nœuds Auto 1 Cran 2 0,16 3293 pieds
    140 nœudsFootnote 22 Manuel 1 Cran 2 0,05 7123 pieds
    140 nœuds Auto 1 Cran 2 0,05 7023 pieds
    140 nœuds Auto 1 Cran 2 0,16 3642 pieds

    Approches stabilisées

    Le groupe de travail sur la réduction des accidents en approche et à l'atterrissage (ALAR) de la Flight Safety Foundation a étudié 76 accidents et incidents graves survenus en approche et à l'atterrissage entre 1984 et 1997, et il a découvert qu'une approche non stabilisée avait été un facteur de causalité dans 66 pour cent de ces événementsFootnote 23. L'article en question décrit comme suit certains des avantages d'une approche stabilisée : elle permet d'avoir mieux conscience des vitesses verticale et horizontale ainsi que du niveau d'énergie; elle donne plus de temps au PNF pour surveiller les communications ATC et pour se consacrer à des activités de surveillance et d'aide.

    Cet article décrit également certains des écarts qui se produisent souvent pendant des approches non stabilisées :

    • puissance au ralenti pendant toute l'approche jusqu'au toucher des roues;
    • sortie tardive des volets;
    • écart excessif des paramètres de vol au moment du passage à la hauteur minimale de stabilisation (du genre vitesse excessive, taux de descente trop important, avion se trouvant au-dessus de la trajectoire de descente);
    • écart excessif des paramètres de vol jusqu'au moment du survol du seuil de la piste;
    • aérofreins qui restent déployés en courte finale;
    • arrondi prolongé et toucher des roues loin sur la piste.

    Questions de performance humaine

    À divers moments pendant un vol, comme au décollage et en descente, il se peut que la charge de travail d'un pilote soit très élevée. À mesure que la charge de travail augmente en raison d'une plus grande difficulté des tâches ou d'un plus grand nombre de tâches entreprises, l'obligation de recourir à un traitement mental va en augmentant. Si les exigences de traitement d'une ou de plusieurs tâches dépassent les capacités disponibles, il faut s'attendre à une baisse de performance. Les périodes où la charge de travail est plus élevée qu'à l'accoutumée peuvent mener à des erreurs ou à des défaillances de système. Par exemple, un pilote risque de mal entendre ou de mal comprendre des renseignements qui lui sont communiqués, un pilote peut par inadvertance négliger certaines tâches afin de ne s'occuper que de celles qui sont les plus importantes pour ce qu'il est en train de faire, ou encore un pilote peut être distrait de l'exécution de ses tâches principales.

    Analyse

    L'inverseur de poussée du moteur numéro 2 ne fonctionnait pas, et sa réparation avait été différée conformément à la MEL. Aucun problème relié à l'avion n'a contribué à l'événement. Les deux pilotes avaient été de repos pendant plusieurs jours avant de prendre leur service le jour de l'événement en question. Bien que la sortie en bout de piste se soit produite 13 heures après la prise de service, l'équipage avait bénéficié d'une période de repos en escale de 3 heures avant d'entreprendre le dernier trajet qui devait le mener à Ottawa. La fatigue n'a pas été considérée comme un facteur contributif. Par conséquent, l'analyse va porter sur les conditions environnementales au moment des faits, sur les mesures prises par l'équipage pendant l'approche et l'atterrissage ainsi que sur les activités de l'ATS.

    L'approche et l'atterrissage

    L'équipage était conscient du vent arrière en approche et il avait discuté de la nécessité de mettre tôt l'avion en configuration d'atterrissage. Il avait commandé la sortie du train d'atterrissage et réglé les volets sur 15 plus tôt que ce qui était prévu dans le FOM, à savoir au moment du virage en finale plutôt qu'après l'indication comme quoi les signaux des trajectoires de descente et d'alignement de piste étaient captés. En approche finale, malgré des manettes de gaz au ralenti, le train sorti et les volets réglés sur 15, la vitesse indiquée n'a pas diminué suffisamment pour permettre une sortie des volets au réglage d'atterrissage. L'équipage a alors décidé de déployer les aérofreins, de débrayer le pilote automatique et de se mettre en palier à quelque 1500 pieds agl. À 1000 pieds agl, l'avion ne se trouvait pas sur la trajectoire de descente, il avait un taux de descente supérieur à 1000 pieds par minute et les manettes de gaz étaient toujours au ralenti. Les critères d'une approche stabilisée n'étaient pas respectés, et il aurait fallu faire une remise de gaz. La vitesse-sol plus élevée découlant du vent arrière s'était traduite par une difficulté à gérer l'énergie qui n'a pas été corrigée avant 1000 pieds AFE et qui s'est poursuivie jusqu'à l'arrondi.

    Le commandant de bord donnait des conseils au copilote à propos de la gestion de l'énergie et du profil d'approche. La charge de travail inhérente à ces conseils a augmenté après le virage en finale à cause de la composante de vent arrière de 74 nœuds et, par conséquent, le commandant de bord a commencé à négliger certaines des activités de PNF. Il n'a pas appelé sur la fréquence de la tour avant de se le faire dire et il n'a pas entendu le rapport sur la qualité du freinage donné en courte finale — des signes montrant qu'il devenait saturé par ses tâches. De plus, les aérofreins n'ont pas été réarmés lorsqu'ils ont été rentrés. Comme la liste des vérifications à l'atterrissage avait déjà été passée en revue, il n'y avait plus aucun moyen de contre-vérifier qu'ils étaient bien réglés comme ils devaient l'être. Pour ajouter à la situation, le commandant de bord était en communication avec la tour d'Ottawa juste avant la limite des 1000 pieds prévue dans les critères de l'approche stabilisée. Bien que l'équipage ait momentanément envisagé la possibilité de remettre les gaz, le commandant de bord n'a pas été immédiatement en mesure d'évaluer si l'approche était stabilisée et il a repoussé la décision de remettre les gaz alors que les conditions justifiaient le contraire. La vitesse de l'avion, sa position par rapport à la trajectoire de descente ainsi que le taux de descente entre 1000 et 100 pieds AFE indiquaient aussi que l'approche n'était pas stabilisée et qu'il aurait fallu remettre les gaz.

    Malgré le fait que les aérofreins n'étaient pas armés en prévision de l'atterrissage, les déporteurs sol se sont entièrement déployés dans les quelque 2 secondes qui ont suivi le premier contact de la roue principale droite. Ce laps de temps était très proche de celui nécessaire à un déploiement automatique (délai de traitement de 0,3 seconde + 1 seconde de déplacement). Le Tableau 2 à la page 15 montre que le non-armement des aérofreins a contribué pour 100 pieds à la course au sol. Par conséquent, le fait que les aérofreins n'avait pas été armés n'a eu qu'une très petite incidence sur la distance d'arrêt.

    La vitesse de l'avion au moment du survol du seuil de la piste (Vref + 19) et la durée prolongée du flottement ont fait augmenter la distance nécessaire à l'atterrissage. Au moment du toucher des roues, l'avion avait déjà parcouru quelque 2300 pieds au dessus de la piste, et il ne lui en restait plus que 5700.

    Performances de l'aéronef

    Pour un CRFI de 0,34, les calculs faits à partir des tableaux de performances du FOM montrent qu'il fallait s'attendre à une course au sol longue d'environ 5800 pieds en cas d'atterrissage à Vref + 10. Les calculs du BST faits à partir des données du FDR montrent que la longueur de la course au sol aurait dû être d'environ 6200 pieds si l'avion était resté sur une surface présentant le même coefficient de freinage d'avion.

    L'analyse de Boeing montre que, pour un atterrissage stabilisé à Vref, si l'on utilise soit le coefficient de freinage d'avion calculé par Boeing comme étant de 0,05 μ (CRFI ∼ 0,08), soit le CRFI mesuré à 0,34 (coefficient de freinage d'avion de 0,16 μ), les longueurs de la course au sol auraient été respectivement de 6500 et de 3293 pieds. Si l'on suppose une distance de 1000 pieds parcourue dans les airs, dans l'un ou l'autre de ces scénarios, l'avion serait demeuré sur la piste.

    Toutefois, l'avion s'est posé à 140 nœuds, à savoir Vref + 10. L'analyse de Boeing montre que, pour un atterrissage stabilisé à Vref + 10, si l'on utilise soit le coefficient de freinage d'avion calculé par Boeing comme étant de 0,05 μ (CRFI ∼ 0,08), soit le CRFI mesuré à 0,34 (coefficient de freinage d'avion de 0,16 μ), les longueurs de la course au sol auraient été respectivement de 7123 et de 3642 pieds. Si l'on suppose une distance de 1000 pieds parcourue dans les airs, il y aurait eu un dépassement de piste de 123 pieds pour un coefficient de freinage d'avion de 0,05 μ (CRFI ∼ 0,08). Pour un CRFI mesuré à 0,34 (coefficient de freinage d'avion de 0,16 μ), l'avion serait demeuré sur la piste.

    Non seulement l'avion s'est posé à Vref + 10, mais le point de toucher des roues estimé se trouvait à environ 2300 pieds du seuil. Après ajout de ces 2300 pieds aux chiffres de la course au sol du paragraphe précédent, il y aurait eu un dépassement de piste de 1423 pieds pour un coefficient de freinage d'avion de 0,05 μ (CRFI ∼ 0,08). Pour un CRFI mesuré à 0,34 (coefficient de freinage d'avion de 0,16 μ), l'avion serait demeuré sur la piste.

    Les scénarios décrits ci-dessus montrent que, pour un CRFI de 0,34, l'avion serait demeuré sur la piste, quels que soient les paramètres du toucher des roues. Toutefois, l'avion est sorti en bout de piste, ce qui laisse penser que le CRFI réel était inférieur à celui qui avait été mesuré. En fin de compte, l'avion a dépassé de 215 pieds l'extrémité de la piste. Même si l'on tient compte de l'effet de décélération de la neige dans l'aire de dépassement, ce chiffre est nettement inférieur au dépassement de 1423 pieds estimé dans l'analyse de Boeing pour un coefficient de freinage d'avion de 0,05 μ (CRFI ∼ 0,08). Il est donc permis de supposer que le véritable coefficient de freinage de l'avion se situait quelque part entre celui calculé par Boeing comme étant de 0,05 et le CRFI signalé de 0,34 (coefficient de freinage d'avion de 0,16 μ).

    Après les faits, il n'y a eu ni mesure du CRFI de la piste 07, ni étalonnage du décéléromètre. Par conséquent, il n'est pas possible de dire avec certitude qu'elle était l'état de la surface de la piste au moment de l'atterrissage.

    Ce qu'il est toutefois possible de dire, c'est que la piste était plus glissante que ce qui avait été signalé, ce qui, combiné à l'atterrissage long et à vitesse élevée, s'est traduit par une augmentation de la distance nécessaire à l'atterrissage. Cette augmentation a donné un résultat supérieur à la distance encore disponible à l'atterrissage, et c'est pour cela qu'il y a eu sortie en bout de piste.

    Questions liées à l'ATC

    Contrairement à l'instruction donnée par le contrôle terminal d'Ottawa, WJA 846 n'a pas contacté la tour d'Ottawa alors que l'avion virait pour se mettre en approche finale. Il en est résulté une importante diminution du temps dont a disposé le contrôleur de la tour d'Ottawa pour donner des renseignements pertinents comme les rapports sur la qualité du freinage. L'arrivée tardive sur la fréquence et les mots prononcés par l'équipage à propos d'une éventuelle remise des gaz ont peut-être été une source de distraction telle que le rapport sur la qualité du freinage a été mentionné tardivement dans la phase d'approche finale sous la forme d'un ajout à la seconde autorisation d'atterrir. Comme rien n'exige de spécifiquement accuser réception des renseignements reçus sur la qualité du freinage, le contrôleur ne pouvait avoir la certitude que les renseignements avaient bien été reçus. De plus, le rapport sur la qualité du freinage ne précisait ni le type d'avion ni l'heure. Cette façon de procéder contrevenait au MANOPS ATC, en plus de réduire l'utilité du rapport sur le freinage, puisque les équipages ne pouvaient mettre ces renseignements dans le contexte de leur propre avion et de leur propre heure d'atterrissage prévue.

    La mauvaise interprétation de la hauteur du plafond faite par le personnel de l'ATC s'est traduite par un changement de la piste 14 à la piste 07. Ce changement avait pour but de permettre aux avions de descendre sous ce que l'on croyait être par erreur un plafond de 426 pieds agl avant qu'ils atteignent les minimums d'approche. Il en est résulté un fort vent arrière en altitude plutôt qu'un vent de travers pour les avions en approche à Ottawa. Ce vent arrière a créé des problèmes de gestion de l'énergie pour l'équipage de l'avion en question, et il constitue l'un des facteurs qui ont contribué à l'approche non stabilisée.

    Le programme numérique ATIS exige que certains renseignements soient entrés manuellement. Le rapport d'état de l'aérodrome tel qu'il est reçu de l'exploitant de l'aéroport doit être entré manuellement avant d'être en partie traduit de façon traditionnelle dans l'autre langue officielle. Lorsqu'un message ATIS ultérieur est préparé et qu'aucune modification n'est demandée par rapport aux renseignements entrés précédemment, il n'est pas nécessaire d'entrer le message de nouveau. Si les renseignements n'ont pas été entrés correctement la première fois, l'erreur risque de rester dans les messages ATIS ultérieurs. Dans le présent incident, ce n'est qu'après les faits que la correction a été apportée. Bien que les contrôleurs vérifient les versions française et anglaise du message ATIS avant de le diffuser, une erreur peut ne pas être facile à déceler s'il n'y a pas comparaison simultanée avec la version écrite. Des erreurs dans les messages générés automatiquement par l'ATIS risquaient de se traduire par des situations amenant des équipages de conduite à prendre des décisions en vol à partir de renseignements incorrects ou manquants.

    Bien que des cartes quadrillées de l'aéroport aient été disponibles tant dans la tour que dans les véhicules au sol, ces cartes n'ont été ni demandées ni utilisées pour fournir les coordonnées de la position de l'avion. Il pourrait en résulter une certaine confusion quant à la position de l'avion ainsi que des retards dans l'intervention des secours dans d'autres événements.

    Manuel d'exploitation (FOM) de WestJet

    Dans le FOM de WestJet, la description des critères de réglage du freinage automatique est quelque peu trompeuse, en ce sens qu'un réglage sur 3 pouvait sembler raisonnable dans les présentes circonstances, compte tenu de l'inverseur de poussée qui ne fonctionnait pas et de l'état de la piste. Toutefois, dans les calculs des données des performances à l'atterrissage, le tableau montre que le freinage automatique devrait être réglé sur Max dans le cas des pistes limitées par le CRFI. Cette expression n'est pas décrite dans le FOM, et il se peut que les équipages sachent mal quel réglage utiliser.

    L'enquête a donné lieu aux rapports de laboratoire suivants :

    • LP 027/2008 – FDR Download (Téléchargement des données du FDR)
    • LP 042/2008 – Review of Maintenance Documents (Examen des documents de maintenance)

    On peut obtenir ces rapports en s'adressant au Bureau de la sécurité des transports du Canada.

    Faits établis

    Faits établis quant aux causes et aux facteurs contributifs

    1. L'équipage de WJA 846 a eu du mal à gérer l'énergie de l'avion à cause du fort vent arrière découlant de la nouvelle piste en service, ce qui s'est traduit par une approche non stabilisée.
    2. Le commandant de bord est devenu saturé par ses tâches alors qu'il donnait des conseils au copilote dans les dernières étapes de l'approche. Il ne s'est pas rendu compte que l'approche n'était pas stabilisée à 1000 pieds au-dessus de l'altitude de l'aérodrome ou, par la suite, alors que les conditions indiquaient le contraire.
    3. La piste était plus glissante que ce qui avait été signalé, ce qui, combiné à l'atterrissage long et à la vitesse élevée, s'est traduit par une augmentation de la distance nécessaire à l'atterrissage. Cette augmentation a donné un résultat supérieur à la distance encore disponible à l'atterrissage, et c'est pour cela qu'il y a eu sortie en bout de piste.
    4. Les aérofreins n'avaient pas été armés, et leur utilisation tardive a fait très légèrement augmenter la distance d'arrêt.

    Faits établis quant aux risques

    1. Contrairement au Manuel d'exploitation du contrôle de la circulation aérienne (MANOPS ATC) deNAV CANADA, le rapport sur la qualité du freinage ne précisait ni le type d'avion ni l'heure. Cette façon de procéder réduit l'utilité du rapport sur le freinage, puisque les équipages ne peuvent mettre ces renseignements dans le contexte de leur propre avion et de leur propre heure d'atterrissage prévue.
    2. Une mauvaise interprétation, par le personnel de l'ATC, des renseignements météorologiques servant à déterminer la piste en service a pu se traduire par la prise de mauvaises décisions opérationnelles.
    3. Des erreurs dans les messages générés automatiquement par le service automatique d'information de région terminale (ATIS) risquaient de se traduire par des situations amenant des équipages de conduite à prendre des décisions en vol à partir de renseignements incorrects ou manquants.
    4. Des cartes quadrillées de l'aéroport étaient disponibles tant dans la tour que dans les véhicules au sol, mais elles n'ont été ni demandées ni utilisées pour fournir les coordonnées de la position de l'avion. Il pourrait en résulter une certaine confusion quant à la position de l'avion ainsi que des retards dans l'intervention des secours dans d'autres événements.
    5. Les tableaux des performances du manuel d'exploitation de WestJet portant sur des pistes limitées par le coefficient canadien de frottement sur piste (CRFI) se basent sur un freinage automatique réglé sur Max, mais ce manuel ne définit pas ce qu'est une piste limitée par le CRFI. Il se peut que la description d'un réglage du freinage automatique réglé sur 2 ou 3 donnée dans le manuel d'exploitation amène les équipages à utiliser de tels réglages dans des circonstances où un réglage sur Max serait plus judicieux.

    Autre fait établi

    1. Le décéléromètre de l'aéroport international d'Ottawa n'a pas été vérifié après faits afin de permettre de savoir s'il était correctement étalonné.

    Mesures de sécurité

    NAV CANADA

    NAV CANADA a publié des directives sous la forme d'une lettre d'exploitation afin de rappeler aux contrôleurs l'obligation faite par le Manuel d'exploitation du contrôle de la circulation aérienne (MANOPS ATC) d'utiliser la bonne présentation au moment de communiquer des rapports d'état de piste ou de qualité du freinage. Cette lettre d'exploitation a fait l'objet d'un exposé verbal obligatoire. De plus, le bulletin sur les opérations hivernales publié à l'échelle nationale rappelle clairement d'utiliser les techniques et la phraséologie conformes aux exigences du MANOPS ATC et du Manuel d'exploitation des services en vol (MANOPS FS) de NAV CANADA afin de favoriser des communications bilatérales franches et efficaces.

    Le 25 février 2008, un bulletin d'exploitation a été publié dans lequel on pouvait lire ce qui suit : [Traduction] « Dès la réception d'un rapport d'état d'aérodrome, la délivrance des autorisations doit en faire deux copies, une destinée au contrôle au sol et l'autre au contrôle d'aéroport. » La rubrique 200.1 j des procédures locales a été modifiée en conséquence. Cette mesure garantit que dès qu'un rapport arrive par télécopieur, les contrôleurs sont mis au courant.

    La tour d'Ottawa a effectué un examen approfondi des rapports d'état d'aérodrome à l'aide d'une base de données couvrant une période de deux mois (d'hiver) dans le but d'identifier les incohérences entre les vocabulaires français et anglais emmagasinés dans le système. Les fonctionnalités numériques du service automatique d'information de vol (ATIS) ont été passées en revue, et les corrections appropriées ont été apportées au vocabulaire anglais-français. De plus, les contrôleurs ont reçu des instructions sur la façon de modifier localement le vocabulaire si le besoin s'en fait sentir.

    WestJet

    L'article 78-1 de la liste d'équipement minimal (MEL) portant sur une panne d'inverseur de poussée a été modifié afin de se lire comme suit : [Traduction] « Au moment de calculer la distance nécessaire à l'atterrissage, il faut ajouter 20 % aux calculs de la distance à l'atterrissage de l'avion. » Les calculs de base des distances d'atterrissage ne donnent aucun crédit pour l'inversion de poussée.

    Un calculateur de distance d'atterrissage dans des conditions normales a été ajouté au système embarqué de communications, d'adressage et de compte rendu (ACARS). Ce dernier peut être utilisé de concert avec les rapports de freinage ou les renseignements sur le coefficient canadien de frottement sur piste (CRFI). Si un CRFI est entré, les calculs se basent sur un freinage automatique réglé sur Max.

    En collaboration avec l'avionneur (sections 10A, 10B et 10C des données sur les performances à l'atterrissage), il y a eu révision de la note signalant le réglage du freinage automatique à utiliser pendant des atterrissages sur des pistes disposant de renseignements sur le CRFI. Jusqu'à maintenant, les réglages du freinage automatique inférieurs au réglage sur Max pouvaient être utilisés en présence de [Traduction] « conditions optimales ». Ce point a été supprimé, car des renseignements précis sur la distance d'atterrissage ne sont pas toujours disponibles dans le cas des atterrissages sur des pistes disposant de renseignements sur le CRFI permettant que le freinage automatique ne soit pas réglé sur Max. Par conséquent, quels que soient les autres conditions, le freinage automatique devra maintenant toujours être réglé sur Max en cas d'atterrissage sur une piste disposant de renseignements sur le CRFI.

    En 2009, la formation périodique au sol fera référence au présent incident à propos de la surcharge de travail et de la fixation ainsi que des moyens de reconnaître et d'atténuer de tels phénomènes. La discussion se déroulera à partir d'une animation des données de vol montrant le déroulement de celui-ci, et l'accent sera mis sur les points suivants :

    • plan initial, exposé et calculs des performances (CRFI/état de la surface de la piste);
    • changement de la piste en service et processus à suivre pour tenir compte de ce changement, performances à l'atterrissage comprises;
    • profil de vol et méthode employée en gestion de l'énergie et en configuration;
    • critères d'approche stable et menace associée à la poursuite d'une approche non stable (référence au nombre d'approches non stables tiré de la surveillance des données de vol (FDM) de WestJet Airlines);
    • phénomène de la surcharge de travail accompagné de la « fixation » et de la « canalisation de l'attention » qui en résultent dans le contexte de l'équipage en question (annonce à 1000 pieds oubliée, aérofreins non armés) :
      • référence aux accidents de Southwest Airlines aux aéroports de Burbank et Chicago Midway, et impact de la fixation;
      • référence aux renseignements recueillis par les observateurs de WestJet lors des exposés d'approches non stables faits par les pilotes (programme FDM)
      • comment reconnaître et gérer le phénomène de la fixation ou de la canalisation de l'attention;
    • les points entourant les véritables écarts et la gestion du contrôle de la circulation aérienne, les services d'urgence aux aérodromes, les agents de bord et les passagers, feront l'objet de discussions conjointes en gestion des ressources de l'équipage.

    Le présent rapport met un terme à l'enquête du Bureau de la sécurité des transports du Canada (BST) sur cet événement. Le Bureau a autorisé la publication du rapport le .

    Annexes

    Annexe A — Carte de l'aéroport d'Ottawa

    Ce document n'existe pas en français.

    NE DOIT PAS ÊTRE UTILISÉ AUX FINS DE PLANIFICATION DE VOL

    Annexe B — Arrivée Meech Five

    Ce document n'existe pas en français.

    NE DOIT PAS ÊTRE UTILISÉ AUX FINS DE NAVIGATION

    Annexe C — Approche à l'aide du système d'atterrissage aux instruments (ILS) de la piste 07 à Ottawa

    Ce document n'existe pas en français.

    NE DOIT PAS ÊTRE UTILISÉ AUX FINS DE NAVIGATION

    Annexe D — Tracé de l'enregistreur de données de vol couvrant les 10 derniers milles marins

    Ce document n'existe pas en français.

    Nota : Pour connaître l'heure précise, aller verticalement de la ligne du paramètre jusqu'à la ligne GMT (temps moyen de Greenwich), puis aller horizontalement jusqu'à la marge la plus à gauche pour lire l'heure.

    Appendices

    Appendix A — Ottawa Airport Diagram

    NOT TO BE USED FOR FLIGHT PLANNING PURPOSES.
    Image
    Image of Ottawa Airport Diagram

    Appendix B — Meech Five Arrival

    NOT TO BE USED FOR FLIGHT PLANNING PURPOSES.
    Image
    Image of Meech Five Arrival

    Appendix C — Instrument Landing System (ILS) Approach, Runway 07, Ottawa

    NOT TO BE USED FOR FLIGHT PLANNING PURPOSES.
    Image
    Image of Instrument Landing System (ILS) Approach, Runway 07, Ottawa

    Appendix D — Flight Data Recorder Plot, Last 10 Nautical Miles

    Note: To ascertain time, move vertically from the event line to the GMT (Greenwich mean time) line. Then, move horizontally to the far left margin to read time.