Railway Investigation Report R09V0219

Crossing collision
VIA Rail Canada Inc.
Passenger train 198 South
Mile 75.68, Victoria Subdivision
Nanaimo, British Columbia

The Transportation Safety Board of Canada (TSB) investigated this occurrence for the purpose of advancing transportation safety. It is not the function of the Board to assign fault or determine civil or criminal liability. This report is not created for use in the context of legal, disciplinary or other proceedings. See Ownership and use of content.

Table of contents

    Summary

    On 14 October 2009, at 1514 Pacific Daylight Time, southbound VIA Rail Canada Inc. passenger train 198 struck a vehicle on the Dorman Road level crossing at Mile 75.68 of the Victoria Subdivision. As a result of the collision, two occupants of the vehicle sustained fatal injuries and a third was taken to hospital in serious condition. The crew and passengers of VIA Rail Canada Inc. passenger train 198 were uninjured.

    Ce rapport est également disponible en français.

    Factual information

    The accident

    On 14 October 2009, at approximately 1315,Footnote 1 southbound VIA Rail Canada Inc. (VIA) passenger train 198 (the train) departed Courtenay, British Columbia, Mile 139.7 of the Victoria Subdivision, destined for Victoria, British Columbia, Mile 0.0 of the Victoria Subdivision (see Figure 1). As the train approached the Dorman Road crossing, Mile 75.68 of the Victoria Subdivision, in Nanaimo, British Columbia, the lights and bells of the crossing activated. Shortly thereafter, a southbound vehicle exited Island Highway 19A (the highway) onto Dorman Road travelling westbound. The vehicle, an early 1990s mid-size, front-wheel-drive sedan proceeded to brake, resulting in the vehicle stopping on the crossing. The vehicle then rolled slightly backwards and then began to advance, at which time it was struck by the train.

    Figure 1. Map of accident location (source: Railway Association of Canada, Canadian Railway Atlas)
    Image
    Map of accident location

    The force of the collision propelled the vehicle southward for approximately 150 feet where it came to rest on the west side of the track. The train brakes had been placed in emergency just before the train reached the Dorman Road crossing, and the train stopped approximately 835 feet south of the crossing. Two of the vehicle occupants were fatally injured and the third was seriously injured and transported to hospital. The 2 crew members and 37 passengers on the train were uninjured. The train sustained minor damage.

    The windows of the vehicle were closed at the time of the collision. An examination of the site revealed a tire mark on the rubberized crossing surface on the field side of the west rail. This mark was attributed to one of the front driving wheels of the vehicle spinning as the driver attempted to exit the crossing forward. The mark was about two feet long (see Photo 1).

    Photo 1. Tire marks on the west side of crossing
    Image
    Tire marks on the west side of crossing

    At the time of the accident, the temperature was 15°C. The sky was overcast with good visibility. The roadway was still wet from rain that had fallen earlier that day.

    RCMP collision analysis of accident

    The RCMP conducted an analysis of the crossing accident. As part of this analysis, it examined the condition of the vehicle. The RCMP report states that the vehicle was inspected and found to be in fair condition. The front brakes were in good condition; however, the overall braking capacity was estimated to be between 65 per cent and 75 per cent, given that the rear brakes were found to be functioning at reduced capacity. The report indicates that, given the speed that would have been required to make the turn off Island Highway 19A onto Dorman Road, the available braking capacity of the vehicle should have been able to bring it to a stop. The report does not list the brakes as a contributing factor to the accident. There is no indication in the RCMP report that the mechanical condition of the vehicle contributed to the accident. Regarding the tire marks seen in Photo 1, the RCMP report identifies them as acceleration tire marks from the accident vehicle.

    Crew and train information

    The crew consisted of a locomotive engineer and a conductor, who were qualified for either position (locomotive engineer and conductor), met current fitness and rest standards, and were familiar with the territory.

    The passenger train consisted of a single rail diesel car (RDC), VIA 6135, which weighed approximately 120 000 pounds and was 85 feet in length. This RDC was self-propelled and could be operated from either end. The braking system was a 26L air brake system that worked in conjunction with disc brakes attached to each wheel.

    Mechanical inspection and repair records indicated that VIA 6135 was in serviceable condition. The schedule "B" air brake test had been performed and documented as required at the beginning of the round trip in Victoria.

    Recorded information

    The locomotive event recorder (LER) download was reviewed. The sounding of the horn commenced about 1640 feet before the crossing, while the train was travelling at approximately 37 mph. The horn continued intermittently up to the crossing. At the time of the accident, 28 seconds after the sounding of the horn commenced, the train was travelling at approximately 45 mph.Footnote 2 The train brakes were placed in emergency just before the train struck the vehicle. The headlight and ditch lights on VIA 6135 were continuously displayed on full power.

    Victoria Subdivision

    Southern Railway of Vancouver Island Limited is contracted to operate the Victoria Subdivision by the Island Corridor Foundation and has done so since 2006. Passenger service on the Victoria Subdivision is provided by VIA. Although the Victoria Subdivision falls under the regulatory control of the British Columbia Safety Authority, VIA passenger operations in all regions of Canada are under federal jurisdiction.

    The Victoria Subdivision starts at Victoria and extends 139.7 miles north to Courtenay. The method of train control is the Occupancy Control System (OCS), as authorized by the Canadian Rail Operating Rules (CROR) and supervised by a rail traffic controller located in New Westminster, British Columbia. Maximum subdivision speed is 40 mph for passenger trains and

    30 mph for freight trains. There are on average two passenger trains per day (one northbound, one southbound) and two freight trains, three to four times per week (one northbound and one southbound), depending on demand.

    Crossing information

    Dorman Road is a two-lane arterial road that crosses the Victoria Subdivision at a near 90-degree angle (see Photo 2). The crossing is located immediately adjacent to the highway, approximately 22 m west of its centreline. This highway is a four-lane highway with raised traffic islands (in the vicinity of the occurrence) and acts as a main north/south route through Nanaimo. The intersection with Dorman Road is not controlled by traffic signals.

    Photo 2. View of the Dorman Road public crossing (note: railway timetable direction (north/south) is not necessarily consistent with true geographic directions)
    Image
    View of the Dorman Road public crossing

    The highway runs parallel to the Victoria Subdivision, with an exit onto Dorman Road. The posted speed limit for Dorman Road is 50 km/h. When travelling southbound on the highway, there is no separate off ramp lane, nor was one required at the time the road was constructed. Running parallel to and between the Victoria Subdivision and the highway is a pedestrian/bicycle lane that crosses Dorman Road east of the railway crossing.

    Based on TSB and the British Columbia Safety Authority records, there has been one prior accident at this crossing since 1983. The accident occurred on 01 April 2002, when a five-ton delivery van failed to stop at the crossing and yield to the approaching train.

    Crossing Signal Information

    The crossing signal system at Dorman Road consists of two signal standards equipped with flashing signals and bells; one standard is positioned on the northeast sideFootnote 3 of the crossing and the other, on the southwest side. Each signal standard has three sets of incandescent signal lights and a set of standard railway crossing signs (cross bucks). The northeast signal standard is also equipped with an electrically activated mechanical bell.

    On the northeast signal standard, the signal lights are oriented as follows:

    • toward the northbound lane exiting the highway onto Dorman Road;
    • parallel with the crossing facing the highway;
    • toward traffic on McCullough Road.

    On the southwest signal standard, the signal lights are oriented as follows:

    • toward the southbound lane exiting Island Highway 19A onto Dorman Road;
    • toward McCullough Road traffic;
    • toward eastbound traffic on Dorman Road.

    The crossing signal is activated when an approaching train or railway vehicle occupies the circuit. At Dorman Road, the crossing signal is activated when a southward train is approximately 1640 feet north of the crossing or when a northward train is approximately 1645 feet south of the crossing.

    Railway crossing design

    Transport Canada (TC) has been developing new level crossing regulations for over 20 years. The proposed regulations and related technical manual present more detail on crossing design than the existing requirements. TC's draft technical standards, entitled Road/Railway Grade Crossings: Technical Standards and Inspection, Testing and Maintenance Requirements (RTD 10), issued in 2002, will be incorporated by reference into the new level crossing regulations. In the interim, these standards are being used as the de facto standard by TC and the rail industry/road authorities (including Southern Railway of Vancouver Island Limited) when reviewing safety at level crossings. In addition to RTD 10, in the Province of British Columbia, the British Columbia Ministry of Transportation's Supplement to Transportation Association of Canada (TAC) Geometric Design Guide (Chapter 1100) is consulted.

    Within both design guides, driver sight-line requirements (that is, the ability for drivers to clearly see a train and the signal lights) are referenced. RTD 10 also incorporates stopping sight distance (SSD). The Dorman Road crossing was constructed and modified in accordance with the standards applicable at that time-standards that will not change until RTD 10 is formally adopted.

    Stopping sight distance

    Stopping sight distance (SSD) is defined as the sum of the distance travelled during the perception and reaction time of a vehicle driver to a signal plus the vehicle braking distance. Braking distance is the distance taken to stop the vehicle once the brakes are applied. The recommended value for perception and reaction time is 2.5 seconds.Footnote 4, Footnote 5 With respect to railway crossings, critical factors that affect the perception and reaction time include visibility of the signal system, expectation of encountering activated signals, and the urgency associated with specific signals. Active automatic warning devices at railway crossings are intended to convey a sense of urgency to drivers. The recommended SSD values for passenger cars travelling at speeds between 20 km/h and 70 km/h are summarized in Table 1.

    Table 1. Recommended Values for Stopping Sight Distance for Passenger Cars
    Speed
    (km/h)
    Perception and reaction time
    (sec)
    SSD
    (m)
    16 2.5 14*
    20 2.5 18*
    30 2.5 30*
    40 2.5 45
    50 2.5 65
    60 2.5 85
    70 2.5 110

    * SSD values were calculated for speeds of 16, 20 and 30 km/h, assuming a coefficient of friction of 0.45 (wet level surface), using the formulas in RTD 10.

    For vehicle speeds greater than 16 km/h, the available SSD at Dorman Road for southbound vehicles exiting the highway (14 m) did not meet the minimum requirements of draft standard RTD 10.

    Signal orientation at Dorman road public crossing

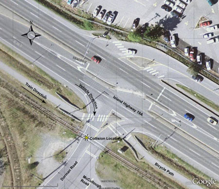
    Photo 3 presents an overhead view of the Dorman Road public crossing, depicting road geometry, locations of crossing lights facing east and approximate orientation of these crossing lights. In comparison, Photo 4 presents the overhead view of the Waddington Road public crossing, located approximately 2 km south of the Dorman Road public crossing.

    Photo 3. View of the Dorman Road public crossing
    Image
    View of the Dorman Road public crossing
    Photo 4 View of the Waddington Road public crossing
    Image
    View of the Waddington Road public crossing

    The maximum road speed on the highway at the Dorman Road exit is 70 km/h and, at the Waddington Road exit, 60 km/h. Before the Waddington Road exit, there is a railway crossing warning sign for southbound vehicles. No such sign is installed at Dorman Road. At both crossings, there are three sets of incandescent crossing signal lights, with one set of signal lights being angled for northbound traffic exiting the highway.

    For southbound traffic exiting the highway:

    • At Waddington Road, two sets of crossing signals are angled for southbound traffic.
    • At Dorman Road, one set of crossing signals is angled for southbound traffic and is situated on the southwest side of the tracks 30 m from the point at which an operational signal comes into view for a southbound driver exiting Island Highway 19A. The other set of crossing signals is positioned parallel to the track (that is, angled perpendicular to Island Highway 19A) and not directed at approaching traffic for any specific lane.

    When positioned on the highway looking south, crossing signals are significantly more visible at Waddington Road as compared to the crossing signals at Dorman Road although, in part, this is because of differences in the geometry of the two crossings.

    Driver information

    The driver of the vehicle held a valid British Columbia novice driver's license, was a Nanaimo resident, and was familiar with the area. The novice designation is the second step of a three-step provincial graduated licensing program for new drivers. Restrictions to novice drivers included the following:

    • Restricted from using both hand-held and hands-free cell phones and portable electronic devices while driving or riding;
    • Must display the N sign at the back of the vehicle so drivers behind can see it;
    • Must not drive with any alcohol in the body; and
    • Limited to 1 passenger – unless driving a passenger vehicle and have a supervisor 25 years or older with a valid Class 1, 2, 3, 4, or 5 driver's licence. This restriction does not apply to immediate family.

    Section 185 of the British Columbia Motor Vehicle Act directs that "the driver must stop the vehicle within 15 m but not less than 5 m from the nearest rail of the railway, and must not cause or permit the vehicle to proceed until he or she can do so safely."

    There was no indication of driver impairment or driver distraction at the time of the accident.

    Driver Behaviour Survey at Dorman Road Public Crossing

    A driver behaviour survey was conducted by the TSB at the Dorman Road public crossing. Drivers of southbound passenger vehicles that had just exited the highway onto Dorman Road while the lights at the crossing were activated were interviewed (see Table 2 for the questions and a summary of responses). Half of the interviews were conducted between 1000 and 1200 and the remainder was conducted between 1430 and 1630. On the day of the survey, the sky was overcast and there was some light rain. The sun appeared briefly during the morning session, but there were no indications that driver vision was affected.

    Table 2. Questions Asked of Drivers and Results Obtained
    Questions Results
    How frequently do you use the Dorman Road exit? Frequently 20
    Not frequently 5
    Did you stop your car at or before the crossing stop line? Yes 16
    No 9
    From how far away did you see the lights? While on Island Highway 19A 3
    As the driver turns on Dorman Road 9
    After the turn 8
    Did not see the active crossing lights 5
    Are you aware of any railway safety awareness program? Yes 0
    No 25

    The results of this driver behaviour survey are considered indicative, but not definitive. Specific observations from this survey include:

    • Five drivers (20 per cent) stated that they did not see the active crossing signals.
    • Seventeen drivers (68 per cent) saw the active crossing signals after initiating the turn off the highway.
    • Only three drivers (12 per cent) saw the signals while still on the highway before initiating the turn.

    The speed of the vehicles turning onto Dorman Road was not measured. However, vehicle speed at this exit was estimated to be in the range of 20 to 50 km/h.Footnote 6

    Additional observations (based on driver comments) include

    • There is no advance warning when the automatic warning devices are active at the crossing.
    • The absence of a turning lane placed pressure on some drivers to exit onto Dorman Road at greater speeds when there was a vehicle behind them on the highway.
    • There is insufficient distance between the turn and the railway crossing stop line.
    • Some drivers that continued through the crossing reported that they saw the active crossing lights too late to stop.

    LED signal technology

    Newer crossing signal installations make use of LED (light emitting diode) light technology, which provides improved conspicuity of active signal lights. Both LED and incandescent bulb technologies continue to be acceptable for use in railway signal systems by the regulatory authority.

    Driver Attention to Visual and Auditory Stimuli

    The field of view comprises the fovea and peripheral fields. The fovea field of view can be described as a narrow 30° cone at the centre where visual acuity (that is, ability to see details) is the greatest. The peripheral view is approximately 180° forward facing and is particularly good at detecting motion.Footnote 7 The eyes will be oriented toward the direction deemed to be of greatest importance. In the case of drivers proceeding on a road, visual attention will be directed on the road in front of them. How far ahead is dependent on several factors such as traffic, time of day, weather, speed, and road geometry. Drivers periodically shift their focus to look further ahead or closer to their vehicle, again depending on traffic flow, presence of vehicles ahead, etc. Drivers will also perform periodic shifts to the left and to the right–the latter specifically to monitor road signs. Those periodic shifts will typically necessitate approximately 0.5 seconds to shift the focus. Drivers continually perform visual scans to monitor the outside environment. In urban areas, there are significantly more visual stimuli than would be the case in rural areas.Footnote 8

    For drivers, preparing to and then negotiating a turn from a highway onto a road represents a mental and visual workload. Drivers perform several tasks such as monitoring vehicle speed, maintaining lane position, monitoring other vehicles, pedestrians, and slowing down to turn.Footnote 9 When starting a turn, visual attention is typically focused on the entrance of the road and not much further. Visual attention shifts further down the road as the turning action continues. At Dorman Road, the driver must perform the added tasks of perceiving and responding to the crossing warning signals. This begins at the physical location where the visual stimuli of an active signal enters the fovea field of view or at the beginning of the SSD.

    There were two auditory stimuli to indicate the impending arrival of the train–the locomotive horn and the bell on the northeast signal standard. The horn was sounded commencing about 28 seconds before the collision and continued to be sounded until the train occupied the crossing. This is consistent with the requirements of CROR Rule 14, Engine Whistle Signals.

    The bell that is part of the crossing automatic warning system was activated for about 28 seconds before the train occupied the crossing.

    Analysis

    Neither track conditions nor the mechanical condition of the train were found to be contributory to the accident. Although the rear brakes of the vehicle were found to be functioning at a reduced capacity, there was no indication that mechanical condition of the vehicle contributed to the accident. The analysis will focus on orientation of crossing signal lights, advance warning systems, train operations, and driver behaviour.

    The accident

    The occurrence vehicle was travelling southbound on the highway and exited onto Dorman Road. The collision occurred when the vehicle came to a stop on the crossing in front of the advancing train.

    The railway crossing signals were working as intended when the train was approaching the crossing. The signal intended to warn southbound vehicles on the highway exiting onto Dorman Road is located on the signal standard on the southwest side of the track and is directed at the cornering lane. Consequently, this signal becomes increasingly visible as vehicles approach the corner while travelling southward along the highway. However, when vehicles are near the corner, the signal is in the driver's peripheral vision and consequently becomes less conspicuous. Moreover, when vehicles are approaching the intersection and in the act of turning, drivers are concentrating on many other factors rather than what is in their peripheral vision, including properly negotiating the corner, merging with northbound traffic, turning onto Dorman Road, and checking for pedestrians and cyclists crossing Dorman Road. Additionally, in the absence of a designated exit lane, drivers sense pressure to turn quickly to give way to traffic behind. Consequently, it is likely that the driver did not perceive the active railway crossing signal until the vehicle had begun to negotiatethe corner. Once the driver was aware of the flashing crossing lights, the 14 m distance from the corner to the crossing stop line was insufficient for the vehicle to stop before entering the crossing.

    Orientation of signal lights at crossings

    There are three sets of signal lights at the Dorman Road crossing for traffic exiting the highway: one set angled for northbound traffic, one set angled for southbound traffic, and a third set angled perpendicular to Island Highway 19A and not directed at approaching traffic for any specific lane. Observations of a similar crossing in the area (Waddington Road) noted that the orientation of the signals is more favourable to southbound traffic exiting the highway (that is, two sets of signal lights are angled for southbound traffic).

    While both the Dorman Road and Waddington Road crossings are equipped with the same number of signal lights for traffic exiting the highway, the extra set of lights angled for southbound vehicles at Waddington Road provides improved conspicuity of the active crossing signals. When crossing signal lights are not oriented in an optimal manner to maximize visibility to approaching vehicle traffic, there is an increased risk that drivers will not see the warning lights and respond appropriately.

    Advance warning systems at crossings

    Neither the Dorman Road crossing nor the Waddington Road crossing were equipped with active advance warning signals. There was a passive advance warning sign posted for southbound vehicles exiting the highway onto Waddington Road. Despite a higher authorized highway speed for southbound vehicles and a shorter stopping distance, no advance warning sign was posted at Dorman Road. In the absence of an advance warning system for vehicle traffic exiting a highway adjacent to a railway crossing, drivers may not be provided with sufficient warning to respond to an approaching train, increasing the risk of a collision.

    Train operations

    The speed of the train increased beyond the maximum subdivision speed of 40 mph while approaching the crossing. At the time of the accident, the train was travelling at approximately 45 mph. It is possible that the locomotive engineer focused his attention on the actions of the vehicle as it approached and occupied the crossing, and did not notice the speed increase.

    Driver behaviour

    There was no information to suggest that driver impairment, distraction or inexperience were contributing factors in this occurrence. The driver had a novice licence as per the provincial graduated driver licensing program. With a novice designation, a driver is considered capable of operating a motor vehicle in a safe manner in accordance with the British Columbia Motor Vehicle Act. While it is possible to assume that drivers with a novice designation are inexperienced and can be prone to commit errors, it is equally valid to surmise that these drivers can be more vigilant than those who have become overly comfortable through many years of driving experience.

    The driver survey showed that vehicles are typically travelling at least 20 km/h when rounding the corner at Dorman Road and at times much faster. RTD 10 indicates that at least 18 m of SSD would be required to safely bring vehicles to a stop at the crossing stop line from the minimum speed observed. Given the recommended SSD and the speeds at which vehicles typically negotiate the corner onto Dorman Road, the 14 m distance from the corner to the crossing stop line was insufficient to ensure that all vehicles can stop safely in the event of an approaching train.

    Findings

    Findings as to causes and contributing factors

    1. The collision occurred when the vehicle occupied the crossing in front of the advancing train.
    2. The driver likely did not perceive the active railway crossing signal until the vehicle had begun to negotiate the corner.
    3. Due to the orientation of the signal lights for southbound traffic turning at Dorman Road, the closest signal to the approach was positioned parallel to the track in the driver's peripheral vision and was therefore less conspicuous.
    4. Once the driver was aware of the flashing crossing lights, the 14 m distance from the corner to the crossing stop line was insufficient to stop the vehicle before entering the crossing.

    Finding as to risk

    1. When crossing signal lights are not oriented in an optimal manner to maximize visibility to approaching vehicle traffic, there is an increased risk that drivers will not see the warning lights and respond appropriately.
    2. In the absence of an advance warning system for vehicle traffic exiting a highway adjacent to a railway crossing, drivers may not be provided with sufficient warning to respond to an approaching train, increasing the risk of a collision.

    Other findings

    1. In the absence of a designated exit lane at Dorman Road, some drivers sense pressure to turn quickly to give way to traffic behind.
    2. Given the range of speeds at which vehicles typically negotiate the corner at the Dorman Road exit, the 14 m distance from the corner to the crossing stop line is insufficient to ensure that all vehicles can stop safely in the event of an approaching train.

    Safety action taken

    On 17 December 2009, a Rail Safety Advisory (617-10/09) was sent to the British Columbia Safety Authority regarding the adequacy of crossing protection at Dorman Road in Nanaimo, British Columbia.

    Although the installation of LED grade crossing signal lights is not required by legislation, Southern Railway of Vancouver Island Limited is in the process of changing the crossing signal lights throughout its Vancouver Island trackage to LED type lights as crossings are upgraded.

    This report concludes the Transportation Safety Board's investigation into this occurrence. Consequently, the Board authorized the release of this report on .