Pipeline Investigation Report P07H0040

Crude oil pipeline - Third-party damage
Trans Mountain Pipeline L.P.
610-Millimetre-Diameter Crude Oil Pipeline
Kilometre Post 3.10, Westridge Dock Transfer Line
Burnaby, British Columbia

The Transportation Safety Board of Canada (TSB) investigated this occurrence for the purpose of advancing transportation safety. It is not the function of the Board to assign fault or determine civil or criminal liability. This report is not created for use in the context of legal, disciplinary or other proceedings. See Ownership and use of content.

Table of contents

    Summary

    At 1231 Pacific daylight time on 24 July 2007, the 610-millimetre (24-inch) Westridge Dock Transfer Line, owned by Trans Mountain Pipeline L.P. and operated by Kinder Morgan Canada Inc., was struck and punctured by a contractor's excavator bucket while the contractor was excavating a trench for a new storm sewer line along Inlet Drive in Burnaby, British Columbia.

    When the pipeline was punctured, approximately 234 cubic metres of crude oil was released, approximately 210 cubic metres of which was recovered. Crude oil flowed into Burrard Inlet Bay via the Burnaby storm sewer system. Eleven houses were sprayed with crude oil; many other residential properties required restoration and approximately 250 residents voluntarily left their homes. There were no explosions, fires, or injuries resulting from this occurrence; however, emergency workers and two firefighters responding to the incident were sprayed with crude oil. Two members of the public were also sprayed.

    Factual information

    The Westridge Dock Transfer Line (Westridge Pipeline), constructed in 1953, is a 610-millimetre (mm) outside diameter (OD) crude oil pipeline with a nominal wall thickness of 6.4 mm and a maximum operating pressure (MOP) of 3366 kilopascals (kPa). The Westridge Pipeline initiates at the Burnaby Terminal, the termination point of the Trans Mountain Pipeline system. The Burnaby Terminal comprises numerous above-ground storage tanks, piping, and valves and is at an elevation of approximately 160 metres (m) above sea level (asl). The Westridge Pipeline is approximately 4.13 kilometres (km) long and terminates at the Westridge Dock. The Westridge Dock, at an elevation of approximately 4 m asl, includes above-ground tanks and associated equipment for the delivery of crude oil to tanker vessels (see Appendix A). The rupture occurred at Kilometre Post 3.10 on the Westridge Pipeline at an elevation of approximately 74 m asl.

    The Westridge Pipeline delivers from above-ground storage tanks at Burnaby Terminal to tankers at the Westridge dock using delivery booster pumps at the terminal to achieve the desired loading rate. The emergency shut-down procedure indicates that the pipeline should be shut down in an orderly manner to minimize pressure and drain-down at the leak site. The emergency procedure also indicates that product in the pipeline should be drained away from the leak site by opening valves to upstream or downstream tankage, as appropriate.

    In early 2006, the City of Burnaby (Burnaby) began a project to upgrade certain water and storm sewer lines. The project included the installation of a new section of storm sewer line (sewer line) under Inlet Drive between Ridge Drive and Bayview Drive to replace a combined storm/sanitary sewer line that had been installed during the 1950s. A section of the Westridge Pipeline also ran under Inlet Drive between Ridge Drive and Bayview Drive. Because the proposed sewer line would parallel the Westridge Pipeline and the proposed lateral sewer service connections (lateral connections) would cross the pipeline, Burnaby required the permission of Kinder Morgan Canada Inc. (KMC) before construction could begin in the 30 m safety zone on each side of the pipeline. Burnaby hired a project engineering consultant (the consultant) to design as well as provide contract administration and field inspection for the water and sewer line upgrades.

    In March 2006 and again in March 2007, meetings were held between KMC and the consultant related to the project. The investigation could not determine the origin of the 1957 as-built drawing. KMC records indicated a total of 25 previous physical pipeline verifications done by KMC field inspectors. However, this information was not used to update the 1957 as-built KMC drawings nor was it used during the review of the design for the storm sewer project. In June 2006, the consultant submitted to Burnaby, as part of the preliminary engineering stage, proposed design drawings together with a preliminary design report. The consultant did not undertake any field location work during the initial design phase of the project. The design drawings were prepared by incorporating legal survey information, topographic survey data, plus any service record information about existing water, sewer, and other utilities of which the consultant was aware. The design drawings were considered 90 per cent complete at this stage.

    Having forwarded copies of the June 2006 design drawings to KMC, the consultant contacted KMC in January 2007 to begin the process of obtaining the company's written permission to construct the sewer line, associated drainage manholes (DMs), and lateral connections along Inlet Drive in the vicinity of the Westridge Pipeline. The drawings indicated a constant offset of 8.5 m from the east property line for the Westridge Pipeline. They also indicated that the construction work would take place within 3 m of the pipeline. KMC checked the location of the Westridge Pipeline on the design drawings against the as-built pipeline drawing, dated April 1957.

    On 01 March 2007, KMC returned the approved crossing agreement and the design drawings, annotated by KMC, to the consultant. The agreement set out a number of conditions to be met before work could commence in the 30 m safety zone (see Appendix B). The crossing agreementFootnote 1 was executed between Burnaby and KMC. The following conditions formed part of the agreement:

    1. the depth and location of the Westridge Pipeline is to be verified by hand-digging or by Hydro-Vac in the presence of a KMC inspector;
    2. KMC is to be contacted a minimum of three (3) working days prior to commencement of any works within the right-of-way or 30 m safety zone to arrange for a KMC inspector;
    3. an on-site pre-construction meeting is to take place with a KMC inspector to discuss any on-site concerns, to accurately locate the Westridge Pipeline, to discuss construction techniques, and how to safely work around pipelines;
    4. a copy of the approved crossing agreement and applicable drawings are to be on site at all times when working within the right-of-way or the 30 m safety zone; and
    5. no manholes, valves, or meters are permitted within 1.5 m of the pipeline.

    Items 1, 2, and 5 were repeated on the annotated design drawings; however, there was no mention of the other two items.

    The consultant completed the design drawings, numbered Revision 1 (Rev. 1), which showed the location of the proposed sewer line, the lateral connections, the DMs, and the Westridge Pipeline. The proposed sewer line was designed on the same grade as the existing combined storm/sanitary sewer line and would be located above and parallel to the Westridge Pipeline. Eighteen lateral connections and six DMs were to be constructed along this route connecting curb catch basins with the proposed sewer line, which did not cross the Westridge Pipeline. Only the proposed 18 lateral connections and 6 curb catch basin leads crossed it. The location of the Westridge Pipeline on the design drawings was based on information from various sources, one of which was the KMC as-built pipeline drawing indicating an 8.5 m offset of the centreline of the Westridge Pipeline from the east property line of Inlet Drive. The centreline of the proposed sewer line had an offset of 11.3 m from that property line, resulting in a constant 2.8 m centreline separation from the Westridge Pipeline, within the 3 m restrictive area around the pipeline. The crossing agreement did not reference the National Energy Board's (NEB) regulatory requirements for the 3 m temporary restricted area around the pipeline, which prohibited all mechanical excavation until the pipeline had been clearly located by hand-digging or other methods.

    In March, Burnaby awarded the construction contract for the installation of the sewer line under Inlet Drive. The crossing agreement formed part of the construction contract, but was unavailable at the time of tendering to be included at the contract tender package. It was, however, available for viewing at Burnaby City Hall.

    The design drawings that were part of the construction contract had notes related to the three conditions mentioned above and also indicated the following:

    • the lateral connections were to cross the Westridge Pipeline with a minimum clearance of 0.3 m;
    • the sewer line was to parallel the Westridge Pipeline with a minimum clearance of 1.5 m; and
    • the required crossing permits from KMC were to be in place.

    The design drawings specified that it was the responsibility of the construction contractor (the contractor) to arrange for the location of all underground utilities where they may cross or come into close proximity with the sewer line and to expose them. This responsibility was spelled out in greater detail in the construction contract between Burnaby and the contractor.

    In April, a pre-construction meeting took place between the consultant, the contractor, and Burnaby. The agenda for the meeting covered a checklist of 27 items. KMC was not invited to the meeting. The investigation was unable to determine why not. After the contract award and before starting any excavation work, the contractor engaged the services of the consultant to survey and lay out the worksite on Inlet Drive, which was completed on July 11.

    On July 6, the contractor notified KMC that it intended to start construction on Inlet Drive in six days. The contractor subsequently delayed the construction start date to July 16. The consultant and its field representatives understood that KMC would determine when its inspectors would be on site, whether in regard to lateral crossings of the pipeline or when construction activities were proceeding parallel to the pipeline. The contractor was under the impression that KMC only wanted to be on site when the Westridge Pipeline was being crossed by the lateral connections but not necessarily when the sewer line was being constructed parallel to the pipeline or in the 30 m safety zone. This was, however, contrary to the crossing agreement.

    Although a requirement of the crossing agreement, a copy was not available at the construction site. An on-site pre-construction meeting was required by the crossing agreement with a KMC inspector present to discuss any site concerns, to accurately locate the Westridge Pipeline, and to discuss construction techniques and how to safely work around the pipeline. However, KMC was not requested to attend by Burnaby, the consultant, or the contractor. Pipeline protection requirements were not discussed with the contractor by the consultant's field supervisor or anyone else from the various parties.

    Before the start of construction on July 16, the contractor noted a discrepancy between the location of the Westridge Pipeline as shown near DM 20 on the design drawing and its location on another construction drawing from previous work. The consultant was also made aware of this discrepancy. A KMC inspector was requested to locate the pipeline in the vicinity of DM 20 before the start of any excavation work. At this point, KMC became aware of the start of construction on Inlet Drive within both the 3 m restricted area and the 30 m safety zone around Westridge Pipeline. In spite of this fact, KMC did not request the required on-site pre-construction meeting.

    On July 16, at approximately 1415 Pacific daylight time,Footnote 2 a KMC field inspector began to locate the Westridge Pipeline to the north of DM 20 using a radio-detection model RD 4000, hand-held pipeline locator. The location work indicated that the proposed sewer line would be crossing the Westridge Pipeline to the north of DM 20, instead of paralleling it as shown on the design drawing. Since Inlet Drive had to be re-opened to traffic in 45 minutes (at 1500), in the time available, the KMC inspector was only able to locate about 30 m of the pipeline between DM 20 and DM 21. Immediately to the south of DM 21, the pipeline location agreed with the offset location as noted on the design drawing.

    The KMC inspector advised the contractor and the consultant that an application had to be filed for an amendment to the crossing agreement in the area north of Bayview Drive and that a design change was required before construction could continue at DM 20. There was no written or verbal request by the contractor to locate or mark other areas of the Westridge Pipeline along Inlet Drive and the KMC inspector did not offer to do any additional marking.

    The contractor advised the KMC inspector and the consultant that no construction would be started to the north of DM 20 until all approvals had been received, but that construction would be started in the vicinity of DM 21 on July 17. All construction equipment was on site when the KMC inspector left for the day. The KMC inspector discussed with the KMC supervisor the need for an addendum to the crossing agreement at DM 20 but the contractor's construction schedule was not addressed.

    On July 17, KMC approved an addendum to the crossing agreement that allowed the proposed sewer line to cross over the Westridge Pipeline in the vicinity of DM 20 with a minimum clearance of 0.3 m. The approved addendum repeated all of the requirements of the original crossing agreement with Rev. 2 of the design drawings appended, showing the addition of another DM in the vicinity of DM 21. This new DM had been added to improve the horizontal alignment of the new storm sewer as it followed the roadway curve and resulted in a re-numbering of the DMs on the design drawings. There was no change to the locations of the original DMs.

    On the same day, the contractor began digging the sewer line trench immediately to the south of DM 21. The contractor planned to install the sewer line and DMs before crossing the Westridge Pipeline with the lateral connections. On July 20, the contractor called KMC to request a KMC inspector at the job site to locate the Westridge Pipeline on July 25 to allow it to install the revised DM 20 near the intersection of Bayview Drive and Inlet Drive. The contractor indicated that a KMC inspector would also be required to supervise crossings of the Westridge Pipeline so that the lateral connections and catch basins could be installed.

    On July 18, the KMC field inspector visited the construction site but the contractor was not ready to begin any crossing work because the project had been delayed due to the change in the Bayview Drive area. The KMC field inspector determined that he was not required at this time and left.

    From July 16 to July 24, inclusive, the consultant made daily site visits to ensure that construction activities were compliant with design drawings and specifications, to resolve any conflicts between design and construction, and to communicate job progress to Burnaby.

    At 1231 on July 24, the Westridge Pipeline was struck while the contractor was excavating the sewer line trench in the vicinity of DM 25 as per design drawing Rev. 2. At the same time, the control centre operator (CCO) in Edmonton, Alberta, noted that the Supervisory Control and Data Acquisition (SCADA) system showed an increase in the flow rate of crude oil to an oil tanker being filled at KMC's Westridge Dock Terminal (Westridge Dock) from 3160 to 3260 cubic metres per hour. This event was not recognized as the start of a crude oil release.

    At 1233, the CCO received an emergency call from a private citizen indicating that an oil release had occurred and provided details related to location and the circumstances surrounding the event. At 1237, the CCO requested the Burnaby terminal operator (BTO), located at the Burnaby Terminal Tank Farm (Burnaby Terminal), to shut down the Westridge Pipeline. Within two minutes, the delivery booster pumps at the Burnaby Terminal were shut down. The Westridge Dock operator (WDO), at the request of the BTO, closed the delivery valves to the tanker, effectively stopping crude oil deliveries, assuming that the emergency was related to the tanker loading that was underway.

    Fifteen minutes after the rupture, the CCO noted that the SCADA system still indicated a flow rate on the Westridge Pipeline even though the delivery pumps at the Burnaby Terminal had been shut down and the delivery valves to the tanker had been closed. The CCO immediately requested that the BTO isolate the Westridge Pipeline from the Burnaby Terminal by closing the exit valves at this location. Immediately after isolating the pipeline from the Burnaby Terminal, the BTO asked the WDO to open the delivery valves to drain down the Westridge Pipeline into the tanker, in accordance with KMC's emergency shut-down procedures.

    At 1255, 24 minutes after the rupture, the Burnaby Terminal was fully isolated and the drain-down of the Westridge Pipeline had begun. Approximately one hour after the rupture, the drain-down of the Westridge Pipeline was completed. At 1507, the WDO re-closed the delivery valves to the tanker. The Westridge Pipeline was now isolated at both ends.

    The damaged section of pipe was removed and a new section of pipe was installed. The pipeline was returned to service on July 27. The installation of the sewer line, the lateral connections, and the DMs were completed by Burnaby under the supervision of a KMC inspector. The contractor continued to work on other parts of the contract.

    The damaged section of pipe was sent to the Acuren Group, Inc. (Acuren) laboratory in Richmond, British Columbia, for metallurgical analysis supervised by the TSB. Acuren determined that the pipeline had been in an acceptable operating condition before the incident and did not have any service-related degradation such as corrosion, thinning, or cracking, which would have predisposed it to failure. The damaged section of pipe contained an area of coating removal and, within this section, two large through-wall punctures and nine impact gouge marks, which caused denting and deformation of the pipe metal. Two of the nine impact gouges contained through-wall cracking of the pipe, which would have permitted a small volume of oil to be released from the pressurized pipeline into the trench before the two major punctures. Acuren also determined that the pipe damage features were consistent with the pipe being struck by the excavator bucket. Analysis of the nine impact gouge marks of punctures, dents, gouges, and scratches matched features of the No. 1 excavator tooth, indicating that the tooth struck the Westridge Pipeline five times before puncturing it twice. Metal flakes smeared on the hard surfacing of this tooth showed a chemical composition typical of the pipe metal. Similar evidence was not found on the other three excavator bucket teeth.

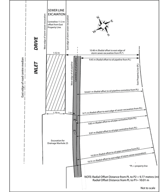
    A post-occurrence site survey revealed that the offset location of the Westridge Pipeline varied from 4 m to 9.8 m from the east property line of Inlet Drive, instead of the constant 8.5 m offset that had been shown on the design drawings. The survey also showed that the sewer trench was excavated according to the design offset of 11.3 m. At the rupture site, the survey revealed that the Westridge Pipeline was only 1.5 m from the centreline of the sewer trench, instead of the 2.8 m separation that had been shown on the design drawings Rev. 1 and Rev. 2 (see Appendix C).

    National Energy Board Regulations

    The National Energy Board Pipeline Crossing Regulations, Part I and the National Energy Board Pipeline Crossing Regulations, Part II protect federally regulated pipelines, such as the Westridge Pipeline, from third-party damage associated with construction and excavation activities across, under, on, above, or parallel to the pipeline.

    The National Energy Board Pipeline Crossing Regulations, Part I apply to anyone who will be excavating with power-operated equipment or explosives within the 30 m safety zone or who will be constructing or installing a facility, such as a sewer line, across, under, on, above, or parallel to a pipeline right-of-way. The NEB has also prepared a booklet entitled Excavation and Construction near Pipelines, which provides guidance to the public on whether approval must be obtained and where and how to obtain it. The National Energy Board Pipeline Crossing Regulations, Part I are appended to the booklet as well as contact information for all federally regulated pipeline companies. The National Energy Board Pipeline Crossing Regulations, Part II apply to all federally regulated pipeline companies.

    The National Energy Board Pipeline Crossing Regulations, Part I provide the conditions that must be met so that excavation and construction activities within the 30 m safety zone can be conducted safely. These conditions include:

    • obtaining the company's written permission prior to the start of any construction or excavation activities;
    • complying with all requirements detailed in the company's written permission;
    • providing the pipeline company with three working days of notice before the start of any work;
    • confirming with the pipeline company that all its pipes in the area have been staked; and
    • not excavating mechanically within 3 m of a pipe unless the pipeline company has confirmed the location of the pipe by probing or the pipeline company has agreed that the excavation can come within 1 m of the pipe under the direct supervision of the company.

    The National Energy Board Pipeline Crossing Regulations, Part II outline the responsibilities of a pipeline company, such as KMC, to the public and the NEB regarding construction and excavation activities in the vicinity of its pipeline. These responsibilities include:

    • developing detailed public guidelines setting out technical and other information to be included in requests for permission to construct or excavate within the 30 m safety zone;
    • locating its pipes when requested to do so; and
    • conducting sufficient inspections to ensure the safety of the pipeline during the period of excavation.

    The NEB is currently in the process of re-drafting the National Energy Board Pipeline Crossing Regulations, Part I and National Energy Board Pipeline Crossing Regulations, Part II and consolidating them into one document entitled Damage Prevention Regulations.

    KMC's Design and Crossing Guidelines, approved by the NEB in 1989, provided the requirements for the application process and were followed by the consultant, on Burnaby's behalf, during the drafting of the crossing agreement.

    Environmental impact and remediation

    Crude oil from the punctured Westridge Pipeline sprayed about 12 to 15 m into the air for approximately 25 minutes. Fifty homes and properties as well as a section of the Barnet Highway were affected by the occurrence. The crude oil seeped into the surrounding soil, storm drains, and sewer lines. The Barnet Highway was closed for several days. Moving through the storm drain system, the crude oil eventually reached the marine waters of Burrard Inlet where it began to spread further into the inlet through wind and tide action. Burrard Inlet's marine environment and approximately 1200 m of shoreline were affected by the crude oil spill. A number of shore birds were contaminated after coming into contact with the oil.

    KMC established a unified command, with the British Columbia Ministry of Environment as the provincial member and the NEB as the federal member, to coordinate the response efforts utilizing an incident command system. The environmental clean-up was handled by KMC with regulatory overview from a stakeholder group. Some members of the stakeholder group were dispatched during the response and initial remediation efforts to address specific functions including waste management issues and shoreline clean-up and assessment. Other contractors and agencies worked on the clean-up and associated response activities for both land and water.

    As of January 2009, the clean-up work on the public infrastructure was ongoing. The stakeholder group was still actively monitoring remediation work and not all remediation targets had been met. The contaminated soil surrounding the repaired Westridge Pipeline was removed and confirmatory samples were taken. The area was backfilled to grade and the road was restored throughout the area.

    The stakeholder group was continuing to work with KMC in the development of final clean-up criteria specific to those areas affected by the release. In addition to the application of the most appropriate guideline (federal, provincial, or municipal), KMC conducted a literature review to identify levels of contaminants of concern that would be expected in Burrard Inlet before the release and to provide guidance for deriving clean-up targets.

    Analysis

    During the design stage, appropriate steps were taken to design the sewer line along Inlet Drive, taking into consideration the location of the Westridge Pipeline. Steps were also taken to comply with regulatory requirements before the commencement of the project by obtaining KMC's written permission to construct the sewer line in the vicinity of its pipeline and by including KMC's notes on the design drawings.

    The location of the Westridge Pipeline on the consultant's design drawings was based on information from various sources, which included KMC's 1957 as-built information showing a constant offset of 8.5 m from the east property line of Inlet Drive. The design of the sewer line was based on this offset and was shown on the design drawings to have a constant offset along its length of 11.3 m from the east property line. Therefore, according to the design drawings, there should have been a constant 2.8 m between the centrelines of the Westridge Pipeline and the sewer line. This was within the 3 m restricted area on each side of the pipeline identified in the crossing regulations. As an additional safety factor, KMC's crossing agreement required that the contractor maintain a minimum separation of 1.5 m between the trench and the edge of the Westridge Pipeline. While the crossing agreement stated that the depth and location of the pipeline had to be verified by hand-digging or Hydro-Vac in the presence of a KMC inspector, the agreement did not specifically state that there would be no mechanical excavation within the 3 m restricted area around the pipeline. KMC approved this project with 2.8 m between the centrelines of the Westridge Pipeline and the sewer line subject to the conditions in the crossing agreement.

    Design drawings reflected the location of underground services and utilities, based on the best available as-built information, for design and contract-tendering purposes. It is good construction practice to field-locate all underground utilities and structures to verify their location immediately before the start of construction. This requirement was one of the conditions of the crossing agreement and is also outlined in the National Energy Board Pipeline Crossing Regulations, Part I.

    Burnaby, the consultant, and the contractor were all aware of KMC's requirement to verify the depth and location of the Westridge Pipeline three days before the start of construction. Because the sewer line would not be crossing the pipeline during the parallel trench work, the contractor was under the impression that this requirement only applied before trenching across the Westridge Pipeline for the proposed 18 lateral connections and 6 curb catch basin leads. The consultant and its field representatives believed that KMC would determine when its inspectors would be on site, whether in relation to lateral crossings of the pipeline or when construction activities were paralleling the pipeline.

    KMC assumed that the contractor would specifically request an on-site pre-construction meeting, as per the terms of the crossing agreement, before continuing construction, that all safety requirements would be addressed during that meeting, and that the pipeline would be located at that time. Although the contractor did not request and KMC did not require an on-site pre-construction meeting at this time, the following verbal and visual cues occurred on July 16 indicating to KMC the intent of the contractor to continue with construction along Inlet Drive as soon as possible:

    • The contractor requested KMC to resolve the discrepancy in the location of the Westridge Pipeline in the vicinity of DM 20.
    • The contractor expressed its intent to the KMC inspector to begin work at DM 21 the following day.
    • Contractor personnel and appropriate construction equipment were on site.

    On 16 July 2007, the contractor assumed that the KMC inspector would react to these cues and provide guidance, if needed, to ensure that all safety and regulatory requirements related to working around the Westridge Pipeline were properly addressed. The contractor was aware that no work could be done at DM 20 until certain conditions had been met and was prepared to meet those conditions before continuing construction at that location.

    However, because no guidance was provided by KMC on July 16 with respect to trenching between DM 21 and DM 25, the contractor assumed that it could begin working at DM 21 and continue trenching parallel to the Westridge Pipeline further up Inlet Drive towards DM 25 without further notifying KMC. The consultant assumed that KMC was aware of the contractor's intentions and had given its approval to continue with the project.

    Since the information available in the field was not adequately communicated between departments within KMC, there was no overall understanding or acceptance of the project work plan or construction schedule by KMC. Since the assumptions of KMC, the contractor, and the consultant were not adequately communicated between them, there was no common understanding or acceptance of the project work plan or the contractor's construction schedule. As a consequence, the construction work proceeded without the conditions of the crossing agreement and the NEB crossing regulations being fully followed by the contractor, the consultant, or KMC.

    On July 16, even though the consultant, the contractor, and KMC knew that the field location of the Westridge Pipeline at DM 20 did not agree with what was shown on the design drawings, none questioned whether there might be other sites along Inlet Drive where a discrepancy could exist between the design and the field locations of the pipeline. The contractor and the consultant believed that the design drawings accurately reflected the field location of the Westridge Pipeline. The contractor therefore continued trenching operations.

    Although KMC approved the project with 2.8 m of separation between the centrelines of the Westridge Pipeline and the sewer line, the NEB requirement that no mechanical excavations be conducted within 3 m of a pipeline, unless the location of the pipe was confirmed by the pipeline company, was not mentioned explicitly in the crossing agreement or in any of KMC's notes that were affixed to the design drawings. Instead, the 3 m restriction was included indirectly in the KMC crossing agreement through the condition that required all construction to be in accordance with the National Energy Board Pipeline Crossing Regulations, Part I. Mechanical excavation was allowed according to the National Energy Board Pipeline Crossing Regulations, Part I, but KMC had an obligation to ensure that a KMC field inspector was directly supervising that excavation if the pipeline had not been located and marked.

    Since the actual offset of the Westridge Pipeline at DM 25 was closer than anticipated to the design offset of the sewer line, there was an alignment conflict and the Westridge Pipeline was struck by the excavator bucket while the trench was being dug for the sewer line. This alignment conflict would have been discovered if the depth and location of the Westridge Pipeline had been verified before construction, as required by the terms of the crossing agreement and the applicable NEB crossing regulations.

    The excavator bucket struck the pipe five times with sufficient force to result in impact gouge marks before the impacts that punctured the pipe wall. Any of the five impacts, with two of these impacts leaking oil, could have alerted the on-site supervisors that there was a problem and that an underground structure had been struck.

    When the excavator bucket punctured the pipe, the delivery pumps were shut down and the pre-rupture delivery rate could no longer be sustained. However, because the Burnaby Terminal was located at a higher elevation than the rupture site, line fill in the Westridge Pipeline could still continue towards the rupture site due to gravity. Closing the Westridge Dock delivery valves only intensified the release of product at the occurrence site. Closing the pumps and not the exit valves at the Burnaby Terminal permitted crude oil to bypass the pumps and enter the pipeline. Drain-down of product away from the rupture site would have been possible if the valves to the tanker had remained open. The initial failure to drain down the Westridge Pipeline into the tanker was contrary to standard emergency shut-down procedures and resulted in additional oil being released on Inlet Drive.

    Findings

    Findings as to causes and contributing factors

    1. The field location of the Westridge Pipeline was not accurately indicated on design drawings, which were based on a 1957 drawing, resulting in an alignment conflict with the trench of the proposed sewer line.
    2. Since the location of the Westridge Pipeline was not verified along Inlet Drive, as required under the crossing agreement and the National Energy Board Pipeline Crossing Regulations, Part I, the discrepancy between its location, as shown on the design drawings, and its actual field location was not discovered before the start of construction.
    3. Due to the alignment conflict, the Westridge Pipeline was ruptured by the excavator bucket while the trench was being dug according to the approved design drawings.
    4. Inadequate communication within Kinder Morgan Canada Inc. (KMC) and between KMC, the consultant, and the contractor resulted in no common understanding or acceptance of the project work plan and the contractor's construction schedule.
    5. The conditions of the crossing agreement and the National Energy Board Pipeline Crossing Regulations, Part I and National Energy Board Pipeline Crossing Regulations, Part II respecting an on-site pre-construction meeting, locating the pipeline, and supervision of construction activities were not adhered to, thus compromising the safe operation of the pipeline.
    6. The initial decision to stop deliveries to the tanker without isolating the gravity feed from the terminal instead of continuing with drain-down of the Westridge Dock Transfer Line to the tanker increased the volume of crude oil released and was not in conformity with standard emergency shut-down procedures.

    Safety action

    Safety action taken

    The National Energy Board took the following actions in response to this occurrence:

    1. Sessions were organized for all those who took part in the emergency response and the post-remediation monitoring and clean-up to discuss what worked and what did not, and to discuss enhancements to future emergency responses.
    2. A multi-agency stakeholder group was established with the National Energy Board as lead agency to share information during site remediation work.
    3. An audit of Kinder Morgan Canada Inc.'s (KMC) damage prevention program was scheduled to take place between February 2009 and March 2009.

    This report concludes the Transportation Safety Board's investigation into this occurrence. Consequently, the Board authorized the release of this report on 23 December 2008.

    Appendices

    Appendix A - Westridge Dock transfer line - Burnaby Terminal to Westridge dock facilities

    Appendix B - Westridge Dock transfer line - Inlet Drive, Burnaby, British Columbia (Source: TSB Illustration)

    Appendix C - Westridge Dock transfer line - Inlet Drive, Burnaby, British Columbia - Post-occurrence as-built survey (Source: TSB Illustration)

    Appendix D - Glossary

    Acuren
    Acuren Group, Inc.
    asl
    above sea level
    BTO
    Burnaby terminal operator
    Burnaby
    City of Burnaby
    Burnaby Terminal
    Burnaby Terminal Tank Farm
    CCO
    control centre operator
    consultant
    project engineering consultant
    contractor
    construction contractor
    DM
    drainage manhole
    km
    kilometres
    KMC
    Kinder Morgan Canada Inc.
    kPa
    kilopascals
    lateral connections
    lateral sewer service connections
    m
    metres
    mm
    millimetres
    MOP
    maximum operating pressure
    NEB
    National Energy Board
    OD
    outside diameter
    PL
    property line
    SCADA
    Supervisory Control and Data Acquisition
    sewer line
    storm sewer line
    TSB
    Transportation Safety Board of Canada
    WDO
    Westridge Dock operator
    Westridge Dock
    Westridge Dock Terminal
    Westridge Pipeline
    Westridge Dock Transfer Line