Aviation Investigation Report A98Q0087

In-flight fire — Landing gear well
Propair Inc.
Swearingen SA226-TC C-GQAL
Mirabel / Montréal International Airport, Quebec

The Transportation Safety Board of Canada (TSB) investigated this occurrence for the purpose of advancing transportation safety. It is not the function of the Board to assign fault or determine civil or criminal liability. This report is not created for use in the context of legal, disciplinary or other proceedings. See Ownership and use of content.

Table of contents

    Summary

    The aircraft, a Fairchild-Swearingen Metro II (SA226-TC), registration C-GQAL, serial number TC 233, took off as Propair 420 from Dorval / Montréal International Airport, Quebec, around 0701 eastern daylight time bound for Peterborough Airport, Ontario. On board were nine passengers and two pilots. About 12 minutes after take-off, at an altitude of 12 500 feet above sea level (asl), the crew advised air traffic control (ATC) that they had a hydraulic problem and requested clearance to return to Dorval. ATC granted this request. Around 0719, at 8600 feet asl, the crew advised ATC that the left engine had been shut down because it was on fire. Around 0720, the crew decided to proceed to Mirabel / Montréal International Airport, Quebec. At 0723, the crew advised ATC that the engine fire was out. On final for Runway 24, the crew advised ATC that the left engine was again on fire. The landing gear was extended on short final, and when the aircraft was over the runway, the left wing broke upwards. The fuselage pivoted more than 90° to the left around the longitudinal axis of the aircraft and struck the ground. All 11 occupants were fatally injured.

    Ce rapport est également disponible en français.

    1.0 Factual information

    1.1 History of the flight

    On the morning of 18 June 1998, Propair 420, a Fairchild-Swearingen Metro II (SA226-TC), C-GQAL, took off for an instrument flight rules flight from Dorval, Quebec, to Peterborough, Ontario. The aircraft took off from Runway 24 left (L)Footnote 1 at 0701 eastern daylight time.Footnote 2 During the ground acceleration phase, the aircraft was pulling to the left of the runway centreline, and the right rudder was required to maintain take-off alignment. Two minutes later, Propair 420 was cleared to climb to 16 000 feet above sea level (asl). (See Appendix A for flight details.)

    At 0713, the crew advised the controller of a decrease in hydraulic pressure and requested to return to the departure airport, Dorval. The controller immediately gave clearance for a 180° turn and descent to 8000 feet asl. During this time, the crew indicated that, for the moment, there was no on-board emergency. The aircraft initiated its turn 70 seconds after receiving clearance.

    At 0713:36, something was wrong with the controls. Shortly afterward came the first perceived indication that engine trouble was developing, and the left wing overheat light illuminated about 40 seconds later. Within 30 seconds, without any apparent checklist activity, the light went out. At 0718:12, the left engine appeared to be on fire, and it was shut down. Less than one minute later, the captain took the controls.

    The flight controls were not responding normally: abnormal right aileron pressure was required to keep the aircraft on heading. At 0719:19, the crew advised air traffic control (ATC) that the left engine was shut down, and, in response to a second suggestion from ATC, the crew agreed to proceed to Mirabel instead of Dorval. Less than a minute and a half later, the crew informed ATC that flames were coming out of the "engine nozzle". Preparations were made for an emergency landing, and the emergency procedure for manually extending the landing gear was reviewed.

    At 0723:10, the crew informed ATC that the left engine was no longer on fire, but three and a half minutes later, they advised ATC that the fire had started again. During this time, the aircraft was getting harder to control in roll, and the aileron trim was set at the maximum. Around 0727, when the aircraft was on short final for Runway 24L, the landing gear lever was selected, but only two gear down indicator lights came on. Near the runway threshold, the left wing failed upwards. The aircraft then rotated more than 90° to the left around its longitudinal axis and crashed, inverted, on the runway. The aircraft immediately caught fire, slid 2500 feet, and came to rest on the left side the runway. When the aircraft crashed, firefighters were near the runway threshold and responded promptly. The fire was quickly brought under control, but all occupants were fatally injured.

    1.2 Injuries to persons

    Crew Passengers Others Total
    Fatal 2 9 - 11
    Serious - - - -
    Minor/None - - - -
    Total 2 9 - 11

    1.3 Damage to aircraft

    The aircraft was destroyed in the accident. The fire started in the left wing and spread as a result of ground impact, destroying the left nacelle and the fuselage. Emergency services quickly brought the fire under control, but white smoke continued to rise from the aircraft for several hours.

    1.4 Other damage

    There was minimal physical damage to the ground along the left edge of Runway 24. The aircraft's sliding along the ground caused some damage, and ruts were made by airport emergency vehicles and vehicles used to recover the aircraft. A gravel road, about 150 feet long, was built up to the aircraft to facilitate recovery. Some aircraft fuel and hydraulic fluids contaminated the soil at the occurrence site.

    1.5 Personnel information

    1.5.1 General

    Captain First Officer
    Age 35 35
    Licence Airline Transport—Aeroplane Airline Transport—Aeroplane
    Medical Expiry Date 01 October 1998 01 February 1999
    Total Flying Hours 6515 2730
    Hours on Type 4200 93
    Hours Last 90 Days 110 93
    Hours on Type Last 90 Days 110 93
    Hours on Duty Prior to Occurrence 2.5 2.5
    Hours Off Duty Prior to Work Period 9 9

    1.5.2 Captain

    The captain began his pilot career as a first officer on SA226 aircraft in November 1986. Until May 1996, he served as captain and as check pilot on similar aircraft types for several air carriers. In May 1996, he was hired by Propair Inc. as company chief pilot.

    At the time of the accident, the captain held an airline transport pilot licence with a Group 1 instrument rating. He was qualified as captain on the Gulfstream 159 and the SA226. Since December 1996, he was also qualified as a company check pilot to administer check flights for Transport Canada (TC). This qualification was valid until 27 September 2001.

    1.5.3 First officer

    The first officer began his pilot career in June 1995. In March 1998, he was hired as a first officer by Propair Inc. He earned his first officer endorsement on May 9 and started his training and line check phase on May 13. He held an airline transport pilot licence with a Group 1 instrument rating.

    1.5.4 Flight crew work schedules

    The flight crew work schedules for the eight days preceding the accident were examined. The captain had taken a one-week vacation before June 11 and seemed well rested on returning to duty. During the eight days before the accident, the captain worked about 59 hours, including the time on duty on the morning of June 18. His chief pilot duties required that he perform administrative tasks as well as flight duty. The day before the accident, he reported for duty at 1035 and left his office at 1935, then reported for duty again at 0545 on June 18. Although he arrived home late on the evening of June 17, he had a good night's sleep and appeared to be well rested the next morning.

    The first officer had accumulated 50.3 flight hours in the eight days before the accident. He worked about 11 hours the day before the accident, finishing his workday at 1930. He was eager to make this flight and slept well on the night before the occurrence. He reported for work at 0545 on June 18.

    1.6 Aircraft information

    1.6.1 General

    Manufacturer Swearingen Aircraft Corporation
    Type and Model Swearingen SA226-TC
    Year of Manufacture 1977
    Serial Number TC 233
    Certificate of Airworthiness 24 July 1992
    Total Airframe Time 28 931.2 hours
    Engine Type (number of) TPE331-3UW turboprop (2)
    Propeller/Rotor Type (number of) Hartzell HC-B3TN-5/T10282 (2)
    Maximum Allowable Take-off Weight 12 500 pounds
    Recommended Fuel Type(s) Jet A, Jet A-1, Jet B
    Fuel Type Used Jet A

    Propair purchased the aircraft in 1996. The aircraft was certified, equipped, and maintained in accordance with existing regulations and approved procedures. The aircraft had no known deficiencies before the flight. Its weight and balance were within limits. Take-off weight was calculated to be 12 020 pounds, and the centre of gravity was 266.3 inches from datum. The maximum allowable take-off weight is 12 500 pounds, with a centre of gravity between 258.5 and 277.1 inches from datum.

    All airworthiness directives applicable to the aircraft had been complied with in accordance with existing regulations at the time of the occurrence.

    1.6.2 Engines and propellers

    1.6.2.1 Engines

    The aircraft engines were sent to the Allied Signal Product Safety and Integrity Investigation Laboratory in Phoenix, Arizona. Both engines were torn down under the supervision of a TSB investigator.

    The right engine (serial number P-03293C) showed signs of friction typical of rotation on several stages of the compressor and the turbine. Traces of mud and debris were identified throughout the air flow circuit of the turbine, demonstrating the development of power in this engine.

    The left engine (serial number P-03208) also showed signs of friction, but these signs were fewer and less pronounced than in the right engine. However, there was no indication that the left engine was developing power.

    1.6.2.2 Propellers

    The propellers were sent to the TSB Engineering Laboratory for examination. The right engine propeller showed obvious signs of rotation in the form of impact marks all along the leading edge. The left engine propeller exhibited straight lines along the longitudinal axis of the blades. They clearly indicated that the propeller was not rotating at the time of impact and had been bent back under the engine. The propeller showed longitudinal scrape marks, which were attributed to the contact of the propeller with the runway asphalt as the aircraft slid along the ground.

    1.6.3 Performance

    Take-off performance of the aircraft was calculated based on the following data:

    Take-off weight: Rotation speed: Altimeter: Pressure altitude: Wind direction: Wind speed: Temperature:
    12 020 pounds 105 knots 29.82 inches 327 feet 360 ° 4 knots 17 ° C

    Based on the parameters above and the data from the aircraft flight manual (AFM), the normal take-off distance to rotation speed was 1800 feet. The normal time calculated for the take-off run was 21 seconds: 12 seconds from the start of the take-off run to 70 knots, and 9 seconds to pass from 70 knots to 105 knots, the rotation speed. These figures were confirmed by the manufacturer and by several tests conducted by Flight Safety International on an SA226 simulator.

    The captain likely released the nose gear steering pushbutton at 60 knots in accordance with the company operations manual. At approximately 70 knots, more right rudder had to be applied to maintain take-off alignment. During the take-off run, directional control of this aircraft type apparently can be easily maintained with the rudder, even with a strong crosswind.

    Observers of Propair 420's take-off indicated that the aircraft lifted off between the A1 and A2 taxiways. Depending on where the take-off roll was started—this could be 100 to 400 feet past the threshold—the aircraft used 4300 to 5400 feet of runway before lifting off. (See section 1.10.1.) It was established that the take-off run lasted 27.5 seconds: 14.5 seconds from the start of the run to 70 knots, and 13 seconds from 70 knots to rotation speed. Time versus acceleration calculations established that the take-off run was just over 4000 feet.

    1.6.4 Landing gear

    1.6.4.1 General description

    The aircraft was equipped with a retractable tricycle landing gear. The main landing gear was attached to the wing structure at the powerplant fairing. The nose gear was mounted forward of the pressure bulkhead and, like the main gear, retracted forward. It was controlled by an electrical system but was activated by the hydraulic system, which employed two hydraulic cylinders on each landing gear strut to lower and retract the gear.

    1.6.4.2 Damage observed

    The right and nose landing gear were damaged in the impact, but no pre-impact damage was found. The right landing gear, including the tires, wheels, and brakes, were in generally good condition, and there was no sign of overheating or excessive wear.

    The left landing gear separated from the aircraft during the break-up sequence before ground impact. The landing gear and the surrounding components showed signs of overheating. Several pieces of melted aluminum from components of the landing gear were found on or near the left wheel well doors.

    1.6.5 Brake system

    1.6.5.1 General description

    The brake system is activated by pressing on the upper part of the rudder pedals. A hydraulic system then transmits the applied force to the corresponding brakes. The brake hydraulic system is totally independent from the other hydraulic systems on the aircraft. The brake system holds a total of 1.42 litres of hydraulic fluid. Fluid is drawn from a 0.47-litre reservoir located in the baggage compartment in the nose of the aircraft. The fluid is routed to the brakes via the hydraulic lines, master cylinders, shuttle valves, and parking brake valves. The approved hydraulic fluid for the brake system is MIL-H-83282.

    1.6.5.2 Parking brakes

    The aircraft is equipped with two parking brake valves, one for the left brakes and one for the right brakes. Both valves were inspected, tested, and torn down, and no deficiencies were found.

    Under previous ownership, work in accordance with Airworthiness Directive AD 92-01-02 had been performed on the parking brake valves of the accident aircraft to correct a problem with residual brake pressure caused by the parking brake control cable.

    An article about the Metro II parking brakes in the Fairchild Facts newsletter in February 1993 stated the following:

    • Before taxiing or beginning the takeoff roll, ensure that parking brake is fully released. Just moving the parking brake control knob to the "OFF" position is not enough to ensure release of the brakes. As stated in the AFM, the system requires pressure be applied to the brake pedals to fully release the parking brake since some residual pressure can remain even with the knob in the "OFF" position. Taxiing and taking off with brake partially engaged can result in any or all of the following:
      1. Increased power necessary to taxi.
      2. Longer or MUCH longer takeoff rolls (possibly longer than available runway.)
      3. Hot, burned or seized brake components. Possible fire in the main gear well.
      4. Tire failure on takeoff or the next landing.
      5. Overheated hydraulic fluid streaming overboard from the vent located near the nosewheel well.
    • Some make it a habit to press the brake pedals firmly to ensure that the parking brake is fully released prior to adding power and beginning to move aircraft.

    For the above reasons, Metro II crews tend not trust the parking brake. The brake sometimes stays on after being released, reportedly more often in winter. The company pilots used wheel chocks instead of the parking brakes. Wheel chocks were used while the engines were started on the day of the accident. However, it could not be determined whether the crew used the parking brake between engine start and take-off.

    1.6.5.3 Master cylinders

    The aircraft is equipped with four master cylinders, one on each rudder pedal, each cylinder bearing part number VI-15-1000 or VI-1000. The master cylinders were examined visually, by X-ray, and under pressure to check operation, except for one on the captain's left rudder pedal. The piston rod on this master cylinder was bent on ground impact, so it could not be pressure-tested.

    The left master cylinder on the first officer's side bore part number VI-1000. The spring washer for the poppet valve was broken in two and sitting inside the master cylinder. Metallurgical analysis of the washer revealed that the break resulted from progressive fatigue failure. Leak and pressure test results were satisfactory. However, tests to determine the closing pressure of the poppet valve could not be performed because of the failure of the spring washer. Fairchild Aircraft Service Bulletin SB-32-041, issued 06 October 1982, stated that master cylinders bearing part numbers V-1000 and VI-15-1125 should be tested to ensure that the poppet valves are serviceable. The part numbers of the cylinders on the accident aircraft were not covered by the service bulletin, and the operator was not required to comply with it.

    The right master cylinder on the captain's side bore part number VI-15-1000. Teardown of this master cylinder revealed that the spring washer and one roll pin were missing. The roll pin maintains the piston head in a specific geometry in relation to the push-rod. Service Bulletin SB-32-001, issued 20 February 1981, which applies to master cylinders bearing part number VI-15-1000 or VI-15-1125, emphasized that the roll pin must be in place to maintain the correct geometry between the two parts, thereby avoiding a system malfunction. Shortly afterward, Emergency Service Bulletin SB-A32-029 recommended complying with Service Bulletin SB-32-001. However, the geometrical relationship between the piston head and the push-rod in this master cylinder was examined and had not been altered. The results of the leak and pressure tests were satisfactory. This master cylinder did not meet the requirements of service bulletins SB-32-001 and SB-A32-029. The operator was not required to comply with them.

    The left master cylinder on the captain's side, part number VI-15-1000, and the right master cylinder on the first officer's side, part number V-1000, both showed slight traces of surface rust on the springs inside the master cylinder body. These two master cylinders met the requirements set out in the service bulletins.

    Compression readings were also taken on the three master cylinders whose push-rods were intact. The loads required to compress the springs varied from 35.9 to 38 pounds. The crew had to apply 24 to 26 pounds to activate the master cylinders and eventually initiate braking. The brake pedal linkage appeared to be properly adjusted and showed no sign of distortion.

    The master cylinders were not all of the same part number, resulting in complex linkage and master cylinder adjustments, complicated overall brake system functioning, and difficult troubleshooting of the braking system. The aircraft maintenance manual contained no pertinent supplemental information. However, the May 1988 issue of the Fairchild Facts newsletter indicated that the latest recommended master cylinders, part number 98-1005-101, be installed with specifically numbered brake assembly parts.

    Figure 1 - Aircraft brake assembly
    Image
    Figure 1 - Aircraft brake assembly

    Figure 1 - Aircraft brake assembly

    1.6.5.4 Brake system shuttle valves

    The brake system is equipped with two shuttle valves. The shuttle valves react to pressure on the brakes and allow either member of the crew to apply the brakes without having to make a selection. One shuttle valve is on each side.

    Examination of the shuttle valves revealed no deficiencies. Theoretically, if both flight crew simultaneously apply equal pressure to the brakes, this type of shuttle valve can physically centre itself, thereby retaining hydraulic pressure in the brake line. Tests conducted to demonstrate that the valves would centre in this manner did not result in the valves centring.

    1.6.5.5 Brake assembly
    1.6.5.5.1 description

    The aircraft was equipped with single-disc brake assemblies manufactured by BFGoodrich and identified by part number 2-1203. Each brake assembly consists of a forged aluminum alloy torque plate associated with a piston housing assembly. On both sides of the brake disc are three brake carrier, lining, and button assemblies. Adjustment for wear in the brake carrier, lining, and button assemblies is normally done by three automatic, equally spaced adjusters in the piston housing assembly. The brake adjusters provide clearance between the brake pads and the disc. Installation of the brake adjusters decreases sensitivity by increasing the amount of fluid required to fill the brakes so that the pilot needs to pump the brakes under certain conditions. As a result, the brake adjusters were not installed on most SA226 and SA227 aircraft, including the occurrence aircraft. Removal of the brake adjusters was approved by Fairchild and BFGoodrich.

    The brakes are operated in pairs on each landing gear by applying pressure on the upper part of the rudder pedal. Hydraulic pressure forces the pistons to press against the brake disc via the brake carrier, lining, and button assemblies on either side of the disc. Without the brake adjusters, the brake carrier, lining, and button assemblies rub continuously against the disc surface. The slight resulting friction is caused mainly by the pressure column in the brake hydraulic system.

    1.6.5.5.2 left wheel and brake assemblies

    The brake piston housing (for the part number 2-1203 brake assembly) installed in the left outboard position was manufactured by BFGoodrich in January 1987. The piston housing showed severe melting and broke on impact into six recognizable parts. The bottom of two of the piston cylinders was blackish-green, indicative of overheating. Parts of the aluminum hydraulic lines had remained attached to the piston housing and showed signs of melting. The largest piece of piston housing had a brownish surface around the upper piston cylinder. The outer lip of the second piston cylinder was blackened with soot.

    The second set of piston cylinders were found separated from the piston housing. The blackening was more pronounced on these two cylinders than on cylinders one and two described above because they were exposed to higher temperatures.

    The wheel bearings from the outboard wheel remained on the axle; the bearings were totally dry with no grease residue. After inspection, it was concluded that the grease had been burned off by exposure to excessive heat.

    The brakes are equipped with insulators placed between the pistons and the brake carrier, lining, and button assemblies. The insulators are made of an asbestos compound. Of the 12 insulators on both left brake assemblies, 9 were recovered from the wreckage. All insulators showed excessive heat damage, some showed ovalization of the inner hole with indication of step marks, and others showed traces of soot at an angle to the insulator surface.

    The damage to the front of the torque plate was consistent with ground impact. A flatness reading of 0.068 inch was obtained between the highest and lowest points on the surface of the torque plate. Hardness tests on the surface of the torque plate indicated that the material had lost some hardness due to heat in the wheel well. The warp in the torque plate is consistent with ground impact damage; the maximum deviation from flatness at overhaul is 0.020 inch.

    The brake carrier, lining, and button assemblies, installed six per brake, are made of a metallic compound and are pressure sintered to a steel base. The brake carrier, lining, and button assemblies were not manufactured or approved by BFGoodrich. These components were manufactured by RFS (Rapco Fleet Support Inc.) and approved by the US Federal Aviation Administration (FAA) through a Parts Manufacturing Approval for installation specifically on this type of brake. Only one brake carrier, lining, and button assembly was distorted; the distortion was consistent with the impact distortion observed on the brake disc and piston housing. Also, all brake carrier, lining, and button assemblies showed signs of overheating and friction. No linings showed signs to support the theory that an insulator was released from the button holding it, thus applying pressure to the brake carrier, lining, and button, and, eventually, overheating because of excessive pressure.

    No part number was found on the disc from the left outboard brake. The left outboard disc thickness varied from 0.385 to 0.390 inch, and the left inboard disc thickness varied from 0.380 to 0.390 inch. The minimum thickness is specified as 0.300 inch for BFGoodrich parts; therefore, both discs were within the wear limits prescribed by BFGoodrich. The outboard left brake assembly showed 87% average wear, and the left inboard brake assembly showed 70% average wear. The left inboard brake assembly included an RFS disc, approved by the FAA for installation in this brake assembly.

    Uniform heat discolouration and heavy lining pressure marks were on both sides and over the full circumference of the brake discs. The steel in the discs showed a grayish-blue colouration indicative of overheating. The discolouration of the brake discs is a sign of tempering by exposure to heat. The discolouration and the shade of colour show that the discs were exposed to temperatures exceeding 600°C (1112°F) for a sustained period. The circumference friction flatness indications observed on both faces of the disc showed that the disc was not warped.

    The piston housing of the inboard assembly, part number 2-1203, was manufactured by BFGoodrich in 1978. The leading edge of the piston housing was damaged on ground impact. The Nitrile rubber preformed packings (one per piston, therefore six per assembly) were all consumed by fire. According to specification MS28775-218, this type of rubber degrades when exposed to temperatures of 135°C (275°F). The piston housing was fitted with a stainless steel cylinder liner (sleeve) for each of the six piston cavities.

    The damage to the various components of the left inboard brake assembly was very similar to the damage observed on the components of the left outboard brake assembly, with the same signs of friction and overheating.

    The outboard main wheel (part number 3-1357), consisting of an assembly of two halves, was manufactured by BFGoodrich in June 1984. The halves are made of aluminum alloy 2014 and are tempered to T6. The wheel was broken into several pieces and showed ductile failures on all fracture surfaces. The damage observed was consistent with prolonged exposure to excessive temperatures. The tire was approximately 80% consumed by fire; only the tire beads and a few other fragments were found. Manufacturer information and tests showed that ignition occurs when the tires are exposed to a temperature of 482°C (900°F). The tire material supports combustion and generates an intense fire as long as enough oxygen is available.

    The left inboard wheel was manufactured by BFGoodrich in February 1988 and was intact on the axle after the accident. The tire was mostly consumed by fire; only the beads remained on the rim.

    1.6.6 Aircraft hydraulic system

    1.6.6.1 General description

    The aircraft hydraulic system--which does not include the brake system--supplies pressure to operate the flaps and the landing gear in normal operation and to lower the landing gear in an emergency. The approved hydraulic fluid for the aircraft hydraulic system is MIL-H-83282. The approved fluid for the landing gear struts (shock-absorbing systems) is MIL-H-5606.

    Two variable displacement hydraulic pumps are driven by the engines. These pumps supply pressure to the main hydraulic system. A handpump in the cockpit supplies pressure for the auxiliary hydraulic system. A hydraulic pressure indicator provides a direct reading from the main or auxiliary hydraulic system. The hydraulic system is pressurized and controlled via the hydraulic power pack.

    The hydraulic power pack is located inside the left nacelle, forward of the wheel well, and contains the hydraulic fluid used in the system. It maintains the pressure supplied by the hydraulic pumps driven by the engines at 2000 pounds per square inch (psi). Two selector valves at the bottom of the well control the operation of the flaps and the landing gear. The upper part of the hydraulic power pack stores the system hydraulic fluid. Two warning lights (L HYD PRESS and R HYD PRESS) on the annunciator panel and an electrical pressure gauge monitor the hydraulic system. Each warning light is controlled by a pressure switch at the outlet of each engine pump. A shuttle valve enables the hydraulic pressure gauge to indicate the pressure in the main hydraulic system or the auxiliary hydraulic system, whichever is higher.

    1.6.6.2 System failure

    At 0712, there were indications of a main hydraulic system failure. The L HYD PRESS and R HYD PRESS lights came on, and the hydraulic pressure was decreasing. It was decided to turn back to Dorval and, when required, use the prescribed manual procedure to lower the landing gear. During the turn to Dorval, the flight controls did not feel normal, the IGNITION MODE - AUTO FUNCTION light for the left engine illuminated, and there was a left-wing overheat indication.

    1.6.7 Hydraulic fluid analyses

    The hydraulic fluids collected from Propair 420 were analyzed. Samples of hydraulic fluid were also taken from other aircraft in the company fleet, a hydraulic generator cart, and other aircraft not owned by this carrier. The analyses were done by the Department of National Defence Quality Engineering Test Establishment in Ottawa, Ontario. The results of the chemical analyses were as follows:

    • The MIL-H-83282 brake fluid from C-GQAL contained 34% MIL-H-5606.
    • The MIL-H-83282 hydraulic fluid from C-GQAL contained 14% MIL-H-5606.
    • The MIL-H-5606 fluid from the left landing gear strut of C-GQAL contained 5% MIL-H-83282.
    • The MIL-H-5606 fluid from the nose gear strut of C-GQAL contained 14% MIL-H-83282.
    • The wheeled hydraulic generator contained MIL-H-83282 hydraulic fluid with 17% MIL-H-5606. This unit is used to replenish fluids in the aircraft.
    • On another Propair Inc. aircraft, the brakes contained 29% MIL-H-5606, and the aircraft hydraulic system contained 18% MIL-H-5606.
    • An aircraft operated by another air carrier contained MIL-H-83282 fluid with 13% MIL-H-5606.

    In general, the mixed hydraulic fluids had the qualities of MIL-H-83282 fluid: smell, look, feel, viscosity, etc. However, the MIL-H-5606 contamination in a hydraulic system containing MIL-H-83282 fluid lowers the flashpoint of the fluid.

    1.6.8 Electrical system

    1.6.8.1 General description

    The electrical system is powered by two nickel-cadmium batteries. The system comprises all the components normally found in a 28-volt direct current system, including two starter/generators, voltage regulators, and reverse-current protection.

    1.6.8.2 Electrical information relevant to the accident

    Squat switches (air/ground indicators) and associated electrical wiring in the wheel well provide information to the crew regarding the landing gear position and convey this information to other aircraft systems. The squat switches are also linked with the engine continuous ignition system. Other electrical wiring running through the wheel well area is connected to the fuel shut-off valve, the hydraulic system, and the wing overheat indicators. Some electrical wires in the left wheel well sustained substantial fire damage.

    1.6.8.3 Wing overheat sensors

    There are two temperature sensors in the overheat alarm circuit for each wing: one in the upper outer part of the wheel well near the air intake duct, the other on the alternator wiring harness in the inboard wing leading edge. If overheating is detected in the wheel well, the L WING OVHT or R WING OVHT light on the warning light panel will light up and stay lit. If overheating is detected in the leading edge wiring harness, the same warning light will flash.

    The approved emergency checklist used by the operator for a L WING OVHT / R WING OVHT warning reads as follows:

    CAUSE:
    • Continuous light - temperature exceeds 350°F [177°C] in the nacelle or 450°F [232°C] in the cabin air conditioning ducts, and indicates an overheat condition in the associated ducts.
    • Flashing light - temperature exceeds 250°F [121°C] in the leading edge wiring harness, and indicates failure of the air intake duct or overheating of the associated generator.
    Steady light (indicates wheelwell or air conditioning duct overheat)
    1. Bleed Air Switch (affected side) . . . . . . . . . . . . . . . . . . . . . . . . . OFF
    2. Landing gear . . . . . . . . . . . . . . . . . . . . . . . . . . . . . . . . . . . . . . . . Extend
    Flashing light (indicates a leading edge bleed air line failure or an overheated generator wire)
    1. Bleed Air Switch (affected side) . . . . . . . . . . . . . . . . . . . . . . . . . OFF
    2. Generator switch (affected side) . . . . . . . . . . . . . . . . . . . . . . . . . OFF

    The checklist also states that if the light does not go out after three minutes, the engine on the affected side must be shut down; it does not provide any explanation or further action to be taken if the light goes out. However, a note on this page of the AFM provides the following additional instructions: If the light goes out, you can retract the landing gear and continue the flight with the air intake closed on the affected side. If the light comes back on, the landing gear must be lowered again. If the light still does not go out after three minutes, the engine on the affected side must be shut down. The note adds that it is impossible to maintain a level attitude with the gear lowered and one engine shut down in most flight conditions. There are no immediate memory items associated with the wing overheat checklist.

    The instructions in the AFM offered no other significant indications, such as the possibility of a fire in the wheel well. All company pilots must receive ground training annually on type and pass a written test, which includes the emergency action items from memory. A wing overheat indication does not require the crew to take immediate action from memory. The pilots receive no ground training for fires in the engine nacelle, since the AFM does not mention this possibility. Operators of this aircraft type (SA226 and SA227) were not generally aware that several overheating incidents and nacelle fires have occurred.

    1.6.8.4 Wing overheat indication

    The crew noted a hydraulic failure indication, control problems, and problems with the left engine, and the wing overheat light came on continuously, all within two minutes. Within 30 seconds of the overheat light illuminating, the light went out without any apparent checklist activity. There is no indication that the wing overheat checklist was initiated: both bleed air switches were found in the ON position, and the landing gear was not lowered until the aircraft was on final approach.

    1.6.8.5 Engine continuous ignition system

    A continuous ignition system is installed on the Metro II. A three-position lever-lock switch controls the ignition mode for each engine. The three modes (normal, automatic/continuous, override) are as follows:

    NORM: Ignition is supplied automatically to the engine on start-up. This mode is used for normal operation on the ground.
    AUTO/CONT: Ignition is supplied to the engine continuously as long as the landing gear squat switches indicate that the aircraft is on the ground. Normal procedure is to select this mode before take-off to provide continuous ignition during this phase. A timer keeps the circuit active for a few seconds after take-off to prevent a sudden loss of power during this critical phase. In this mode, the ignition circuit also activates to relight the engine automatically if engine rpm suddenly drops below 90 percent in flight. This mode is used for the duration of the flight in normal weather conditions.
    OVRD: Ignition is supplied to the engine continuously. This mode is used primarily in flight conditions involving heavy rain, freezing rain or ice to prevent engine failure due to ingestion of rain or ice.

    An orange warning light beside each engine temperature indicator comes on when the ignition system is activated. It was determined that the AUTO/CONT mode was selected for this flight. The system self-activated shortly after the hydraulic system failure.

    1.6.9 Fuel system

    1.6.9.1 General

    The aircraft fuel system has a useable fuel capacity of 648 US gallons contained in equal proportions in the left and right structural wing tanks. Each engine is fed by a separate system. A crossflow line balances the quantity of fuel and, in the event of engine failure, provides access to the fuel in the opposite tank. A fuel shut-off valve is installed in each nacelle to cut fuel to that engine.

    1.6.9.2 Fuel crossover line

    Charred fragments of the left fuel crossover line were found. The two aluminum alloy end fittings for the line sustained heat damage. The portion of the flexible line that traverses the wheel well is covered by a protective jacket. The inner surfaces of the fuel outlets in the wheel well did not exhibit heat damage.

    1.6.9.3 Left fuel shut-off valve

    The fuel shut-off valve was in the OFF position. The valve is normally covered by a protective sleeve with a slide fastener. Only debris from the slide fastener was found on the runway. The end of the fuel line was in place, but it was severed from the braided steel line assembly. The line had been stretched and separated at the valve. The inner surface of the line was cooked and hardened. The other end was still attached to the firewall.

    The body of the shut-off valve, with its connector to the spar, was coated with soot. Less soot was found on the braided steel lines and their aluminum fittings. One connector above the line had melted; what was left had resolidified around the threads.

    The body of the solenoid with the electrical connector was found in the wreckage. It was split in two and partially melted, with substantial traces of soot and edges coated with soot, indicating that the side of the solenoid was open during the fire. The upper part of the solenoid body was severed, revealing clean surfaces with no soot.

    1.7 Meteorological information

    The terminal area forecast for Dorval, valid from 1100 UTC, was as follows: general visibility 4 statute miles (sm) in haze, scattered cloud 600 feet above ground level, 1500 feet overcast. The temporary forecast was as follows: visibility 2 sm in fog, ceiling 600 feet. There were no significant meteorological messages (SIGMET) for the area.

    At the time of take-off in Dorval at 0701, the Automatic Terminal Information Service gave the following information: 600 feet overcast, general visibility 3 sm in fog, surface winds northeast at 4 knots, temperature and dew point 17°C.

    The terminal area forecast for Mirabel, valid from 1100 UTC, was as follows: general visibility 6 sm, 300 feet scattered, 3000 feet overcast. The temporary forecast was as follows: visibility 1 sm in fog, ceiling 300 feet. The aviation routine weather report (METAR) at 1100 and 1200 UTC was as follows: measured ceiling 300 feet overcast, general visibility 2 sm in fog, surface winds northeast at 4 knots, temperature 16°C, dew point 15°C. When Propair 420 was on approach for Runway 24, Mirabel tower reported that the winds were calm and that the altimeter was 29.85 inches of mercury but did not mention the ceiling or the general visibility observed at the airport.

    1.8 Aids to navigation

    Nav Canada is responsible for supplying navigational services and information for pilots. Shortly after the accident, the approach instruments for Mirabel Runway 24 were checked and found serviceable and in compliance with standards.

    1.9 Communications

    The Air Traffic Control Manual of Operations (ATC MANOPS) specifies what information must be given to aircraft on arrival to provide crews with the latest information available before landing. ATC MANOPS, section 470 (later changed to 460), lists this information, which includes winds, visibility, ceiling, altimeter setting, relevant weather information, runway, type of approach, and any other relevant information. This information was not provided by the arrival controller when the aircraft was nearing Mirabel Airport, because the controller was under the impression that the conditions at Mirabel were similar to those at Dorval, where the crew had just taken off. Several parameters were similar, except that at Mirabel the 1100 UTC report indicated ceiling 300 feet and visibility 2 sm, while at Dorval the ceiling was 600 feet and visibility 3 sm.

    Some terminal controllers, including the one that was on duty on the day of the accident, had attended a training session shortly before the occurrence. One of the topics covered was aircraft performance in an emergency situation. There had been a discussion on the operational limits of a twin-engine aircraft with one engine out. It was suggested at that time that, if possible, the controller should avoid giving a clearance for a turn to the side of the engine not running because it could make the aircraft more difficult to fly.

    The aircraft's position, heading, and altitude were factors considered in selecting Mirabel Runway 24. When the crew agreed to land at Mirabel, the aircraft was on a reverse heading and somewhat parallel to Runway 24. Runway 11 was about a half mile closer, but a continuous 240° turn to the left would have had to be made, followed by a 60° turn and a 30° turn to align the aircraft on final. A continuous descent during the turns would also have been required. When the crew agreed to proceed to Mirabel, they were about 24 nautical miles (nm) from Runway 24 and 23.5 nm from Runway 11.

    When Propair 420 was about 2.5 nm from the threshold of Runway 24, the Mirabel tower controller cleared another aircraft to take off from Runway 29. During that radio communication, it would not have been possible for Propair 420 to contact the tower. When Propair 420 was about 1.8 nm out, the controller checked with the crew to find out if they had tried to contact the tower. The crew replied in the negative. The other aircraft had no bearing on this occurrence.

    1.10 Aerodrome information

    1.10.1 Dorval Airport

    Dorval / Montréal International Airport has two parallel runways, 06/24, and one intersecting runway, 10/28. (See Figure 2.) Runway 24L was active for take-offs, and all airport services were available. Runway 24L is 9600 feet long. The runways and the taxiways were fairly wet when the flight took off. Propair Inc. operates out of a hangar in the general aviation sector of the aerodrome. The distance between the Propair Inc. hangar and the threshold of Runway 24L is about 1400 feet. The aircraft got airborne between taxiways A1 and A2, approximately 4090 and 5550 feet, respectively, from the runway threshold. For investigation calculations, the taxi and take-off distance was assumed to be about 6150 feet.

    Figure 2 - Dorval Airport
    Image
    Figure 2 - Dorval Airport

    Figure 2 - Dorval Airport

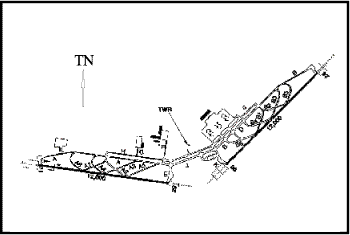
    1.10.2 Mirabel Airport

    Mirabel / Montréal International Airport has two runways, 06/24, and 11/29. Figure 3 shows the direction and the length of the two runways. Runways 06, 11, and 24 are served by instrument landing system approaches. Runway 29 is served by a back course approach. The runways and the taxiways were generally wet at the time of the accident. Both airports are operated by Aéroports de Montréal.

    Figure 3 - Mirabel Airport
    Image
    Figure 3 - Mirabel Airport

    Figure 3 - Mirabel Airport

    1.11 Flight recorders

    The aircraft was equipped with a cockpit voice recorder (Allied Signal model 980-6020-011) with 30 minutes of digital recording capacity. The quality of the recording from the cockpit voice recorder was good. The aircraft was not equipped with a flight data recorder, nor was it required by regulations.

    1.12 Wreckage and impact information

    The first aircraft fragments were found at the beginning of the runway. The larger pieces included burned tire fragments and one of the left landing gear doors. About 600 feet from the beginning of the runway, a blue scrape mark was clearly visible on the runway. The lower fuselage and the vertical fin of the occurrence aircraft were painted blue. No scrape marks were observed on the lower fuselage, but the tip of the vertical fin showed runway scrape marks.

    About 700 feet from the beginning of the runway, the left landing gear gouged the runway surface. In addition to traces of colour transfer, there was a trail of numerous small parts from the left landing gear between this gouge and where the left landing gear was found. The landing gear came to rest on the right side of the runway about 1500 feet from the threshold.

    The blades of the right engine propeller made scrape marks on the runway. The left engine made no such marks. After leaving the left side of the runway 1500 feet from the threshold, the left wing came to rest 2000 feet from the threshold, near the left engine and the scrape marks made by the fuselage. The left wing was heavily scraped by the ground. The front spar was burned, and the rear spar showed signs of torsion. The wing was bowed outward. Soot covered most of the wing surface. The grass near the wing was burned in spots. The wing separated at station 99, near the outer landing gear attachment.

    The fuselage came to rest inverted about 2200 feet from the runway threshold, 250 feet from the left runway edge. Almost all parts of the aircraft were recovered. The smallest parts were picked up by a mechanical sweeper and, together with the other components, transported to the TSB Engineering Laboratory for analysis.

    1.13 Medical information

    Autopsies and toxicology testing were performed on both pilots. Test results for the presence of alcohol and common drugs were negative. There was no indication that incapacitation or physiological or psychological factors affected the crew's performance.

    Autopsies and toxicology testing were also performed on three of the nine passengers based on their position in the aircraft: one in front, one in line with the wing, and one in the rear. On the other passengers, only external observations were made and toxicology testing was conducted.

    The TSB requested a medical study to determine the cause of death of all the aircraft occupants. The medical study revealed the following:

    • Both pilots and most of the passengers sustained multiple fatal injuries on impact. There was no indication of inhalation of combustible products or intoxication.
    • Two passengers survived the initial impact and were burned extensively. One showed macroscopic evidence of soot in the respiratory tract.
    • One passenger died as a result of inhalation of combustible products. The primary cause of death was a lethal dose of hydrogen cyanide causing rapid cerebral asphyxia. Toxicology tests revealed a level of 100.2 micromoles/litre; all values above 75 are considered lethal. Incomplete combustion of synthetic foam normally gives off hydrogen cyanide.

    The TSB asked the Defence and Civil Institute of Environmental Medicine to do an anthropometric analysis of the cockpit environment of the Metro II, particularly with regard to the angle and position of the feet of pilots of different sizes on the rudder pedals. The aim of the study was to determine whether a large pilot was more likely to inadvertently press on the brake pedal than a small pilot. The study determined that large and small people both have room for rudder pedal adjustment. Therefore, neither large nor small pilots are more likely to inadvertently apply the brakes.

    1.14 Fire

    1.14.1 Fire in left nacelle

    At about 0716, a panel on the upper side of the left wing, covering the engine exhaust nozzle, was observed to be missing. One inspection panel, from aft of the left nacelle on the upper surface of the wing, separated in flight and was not recovered during the investigation. The left nacelle was nearly complete and did not show any external signs of fire or soot.

    Shortly after 0718, abnormal pressure on the right aileron was required to maintain heading, and the left engine was observed to be on fire. During the investigation, it was determined that aileron control became abnormal because the heat from the fire reduced the stiffness of the left wing rear spar, allowing abnormal bending of the wing. This bending, because of associated changes in the wing's lifting ability, affected the aileron deflection required to maintain control of the aircraft.

    The emergency procedures for an engine fire consist of the following immediate actions:

    • ENGINE STOP AND FEATHER . . . . . . . . . . . . . . PULL
    • FUEL SHUTOFF . . . . . . . . . . . . . . . . . . . . . . . . .CLOSED
    • HYDRAULIC SHUTOFF . . . . . . . . . . . . . . . . . .CLOSED

    These actions were carried out immediately after the fire was observed.

    1.14.2 Fire damage to left wing

    The rear spar separated in a bending and twisting movement. The front spar was bent in a direction indicating that the wing separated upwards in relation to the fuselage. The spars had neither burned through nor melted, but they exhibited substantial damage from very intense heat.

    1.14.3 Fire damage to fuselage

    There was no mention of cabin smoke or cabin fire in communications from or within the aircraft, so it is concluded that the cabin fire started on ground impact. External fire damage was most extensive on the right side of the aft section, where it burned through the aircraft structure. Fire damage to the cabin interior was most extensive at the floor level and in the centre section above the wing. Toward the front of the aircraft, the left seats were damaged the most. In the centre section, the right and left sides both sustained severe fire damage. The seats in the rear section exhibited less damage.

    1.15 Survival aspects

    After the impact forces had dissipated, the livable space in the cabin had been reduced by 10 inches laterally. This deformation was permanent and was most severe in the cockpit and the centre fuselage section. For a permanent deformation of this magnitude to remain, the initial deformation could have been twice as great, which represents a considerable percentage of the 66-inch cross-section of the fuselage of this aircraft.

    1.16 Tests and research

    1.16.1 Dynamic wheel/Brake resistance tests

    Dynamic wheel/brake resistance tests were conducted at the facilities of the manufacturer, BFGoodrich, in Troy, Ohio. To perform the dynamic drag measurement, a rope was wrapped around the tire, wheel, and brake assembly and a spring scale to measure the drag at brake pressures from 0 to 30 psi. The test indicated that with no brake pressure applied, the rotational drag measured 5 pounds. With 30 psi of brake pressure, the rotational drag was 40 pounds. It was found that the drag was somewhat affected by the torque loading of the axle nut and the resulting pre-load on the wheel bearings. This test also indicated that brake pressures below 30 psi would not be noticeable to the crew during taxi and take-off. The test brake showed no degradation from design expectations.

    1.16.2 Dynamometer tests

    The objective of these tests was to determine the thermal performance of this brake assembly and determine if any piston binding could be localized or could occur. The brake and wheel assembly was fitted with thermocouples and a brake fluid pressure sensor. The thermocouples were installed to measure the temperature of the brake piston housing, the torque plate, the wheel, the carrier, lining, and button assemblies, and the brake fluid in the piston housing. A sensor was installed to measure and monitor hydraulic pressure in the brake system during testing.

    To measure the thermal results of the brake under different brake resistance conditions, a manual hydraulic pump was connected to the brake and pressurized from 10 psi to 60 psi in 10 psi increments. The initial pressure in each dynamometer test was regulated to simulate hydraulic pressure locked into the brake, which would increase the drag exerted by the brake, and to measure the effects on brake operating condition. For the purposes of these tests and because of limitations in the simulation capabilities of the dynamometer, it was established that the aircraft taxied 1400 feet in 3 minutes (extrapolated from a normal taxi speed of 4.5 knots), followed by the take-off roll of 4750 feet in 64 seconds (extrapolated from the take-off speed of 115 knots).

    The following tests were done with a target velocity of 25 feet per second (fps) over a taxi and take-off distance of 6150 feet. The average velocity was based on the calculated total distance divided by the combined total of taxiing time plus take-off run time (extrapolated to account for the dynamometer) of 244 seconds. Due to increasing brake pressure, the following tests required that greater velocity be applied, that is, 74.3 fps in 64 seconds, to maintain a conservative simulation.

    Dynamometer Test Conditions and Results

    S
    T
    O
    P
    Initial
    Pressure
    (psi)
    Final
    Pressure
    (psi)
    Speed
    (fps)
    Duration
    (min:sec)
    Rotor
    Temperature
    Brake Lining
    Assembly
    Temperature
    Piston
    Housing
    Temperature
    (See Note 3)
    1 0 Not
    recorded
    25 4:00 82°F
    (28°C)
    79°F
    (26°C)
    74°F
    (23°C)
    2 10 Not
    recorded
    25 4:30 211°F
    (99°C)
    196°F
    (91°C)
    87°F
    (31°C)
    3 20 Not
    recorded
    25 Not
    recorded
    337°F
    (169°C)
    324°F
    (162°C)
    114°F
    (46°C)
    4 40 Not
    recorded
    25 5:34 Not
    recorded
    Not
    recorded
    Not
    recorded
    5 20 Not
    recorded
    74.3 1:33 554°F
    (290°C)
    567°F
    (297°C)
    123°F
    (51°C)
    6 30 50 74.3 1:20 711°F
    (377°C)
    681°F
    (361°C)
    164°F
    (73°C)
    7 40 100 74.3 1:17 643°F
    (339°C)
    643°F
    (339°C)
    234°F
    (112°C)
    8 50 210 74.3 Not
    recorded
    881°F
    (472°C)
    846°F
    (452°C)
    214°F
    (101°C)
    9 10 20 74.3 1:18 398°F
    (203°C)
    396°F
    (202°C)
    124°F
    (51°C)
    10 20 40 74.3 1:18 512°F
    (267°C)
    516°F
    (269°C)
    144°F
    (62°C)
    11 40 150 74.3 1:26 790°F
    (421°C)
    848°F
    (453°C)
    238°F
    (114°C)
    12 60 300 74.3 1:08 1084°F
    (584°C)
    1215°F
    (657°C)
    302°F
    (150°C)

    Notes:

    1. All stop-tests attempted to reach a distance of 6150 feet.
    2. In stop 12, final pressure was limited by the use of a cooling fan to prevent over-pressure.
    3. Based on previous dynamometer test experience (BFGoodrich), the piston housing temperatures approximate the peak fluids temperature within the piston housing.

    The table shows the relationship between temperature elements and the increase in brake pressure (simulating an increase in braking resistance) caused by the locked brake pressure in the system over a ground distance of 6150 feet.

    1.16.3 Spontaneous ignition tests

    Following the contamination results of the hydraulic fluids, a series of tests was performed to examine the behaviour of contaminated and uncontaminated hydraulic fluids when they come into contact with a hot surface.

    Based on the colouration observed on the brake discs of the occurrence aircraft and those of another aircraft, it was estimated that the discs were exposed to temperatures exceeding 600°C. For test purposes, the brake disc was heated to approximately 815°C for about 30 minutes. The disc was then placed on a heated plate to maintain its temperature around 500°C. A thermocouple was fitted to monitor the disc temperature during testing. Two blends of hydraulic fluid were poured onto the disc at the rate of 10 millilitres per minute, the equivalent of about 2 tablespoons per minute.

    The first test was conducted with 100% MIL-H-83282 hydraulic fluid to establish a base line. A second series of tests used a blend containing 34% MIL-H-5606 hydraulic fluid, which was the mixture found in the brake system of the occurrence aircraft. The hydraulic fluids were poured onto the hot disc surface one by one to determine the lowest temperature at which spontaneous ignition would occur.

    The results of the first test showed that MIL-H-83282 hydraulic fluid ignites when poured on a surface heated to 450°C, producing a powerful flame about 10 inches high. Below 450°C, the fluid did not ignite but produced a large amount of smoke. The second test showed that the blend containing 34% MIL-H-5606 ignites at a lower temperature (424°C) and produces a flame as powerful and as high as that observed in the first test. When the fluid blend was poured onto the surface heated to temperatures below 424°C, it did not ignite but produced a large amount of smoke.

    Using a hydraulic fluid like MIL-H-83282 will not eliminate all risk of hydraulic fluid fire, but it will improve resistance to ignition and to the spread of a hydraulic fluid fire.

    A fire test was conducted with the rubber from the aircraft's tires. When the tire fragment was exposed to flame, it ignited and continued to burn.

    1.17 Additional information

    1.17.1 Certification requirements for upholstery materials

    All materials in the seat cushions and upholstery, as well as trim materials and wall insulation, on this category of aircraft satisfy the previous and current certification requirements prescribed in US Federal Aviation Regulations Part 23 (FAR 23). Unlike FAR Part 25 (FAR 25) requirements, which apply to larger aircraft, FAR 23 does not require that cushions be covered with a special protective layer that retards combustion of the cushions, which emit toxic gases while burning. FAA tests have shown that it is possible to increase passenger survival time in the event of a fuselage fire. Covering cushions with a protective layer delays combustion of the relatively flammable urethane foam used in the cushions, offering passengers an additional 40 to 60 seconds of escape time during a typical post-crash cabin fire. The use of fire-blocking and low heat-release panels significantly delays flashover, thereby further improving occupant survivability.

    All the above-mentioned materials met the flammability requirements that were in effect when the aircraft was certificated. In this instance, the relevant requirements are prescribed in FAR 23, Amendment 23-6, which came into effect more than 30 years ago. Today's flammability requirements are more stringent, but there are no regulations requiring the use of materials that meet today's standards on this type of aircraft, which was certificated under FAR 23.

    1.17.2 Brake system problems

    1.17.2.1 History of brake system problems on SA226 and SA227 aircraft

    Several databases that document occurrences involving the SA226 and SA227 brake systems were consulted. Several occurrences involving brake overheating and fires were found. The two occurrences discussed below are cited because of their similarity and because they were investigated in detail. On 27 July 1988, a Peninsula Airways Fairchild SA227-AC Metroliner III lost hydraulic pressure, the left wing overheat warning light came on, the tires burst, and the left wheel well sustained severe fire damage. The crew were able to make an emergency landing at Anchorage International Airport, Alaska. On 10 February 1990, a Perimeter Airlines Swearingen SA226-TC Metroliner II lost hydraulic pressure, the left wing overheat warning light came on, the tires burst, and the left wheel well sustained severe fire damage. The crew shut down the left engine and were able to make an emergency landing at Winnipeg International Airport, Manitoba. Other related occurrences are discussed or mentioned in Section 4.3 of this report.

    1.17.2.2 History of brake maintenance on C-GQAL

    A review of the aircraft maintenance history starting in March 1993 revealed that the brake assemblies were replaced by overhauled components for each position, as seen in the table below. This type of aircraft was performing an average of one take-off and landing for each flight hour.

    Assembly
    Maintenance
    Date
    Total
    Aircraft
    Hours
    Brake Assembly
    Time Between Brake Assembly Replacement (hours)
    Position 1 Position 2 Position 3 Position 4
    March 1993 25 722.3 Brake
    assembly
    replaced
    Brake
    assembly
    replaced
    Brake
    assembly
    replaced
    September 1993 25 969.9 Brake
    assembly
    replaced
    July 1994 26 436.7 714.4 466.8
    October 1994 26 712.6 275.9
    January 1995 26 901.3 1179
    14 August 1995 27 288.9 576.3 387.6
    23 August 1995 27 314.4 25.5
    April 1996 27 882.1 812.9
    January 1997 28 101.6 2379.3 1664.9
    Date of Accident 28 931.2 1613.8 1049.1 829.6 829.6

    The above table shows that the brake assemblies at positions 1 and 2 were replaced 9 times and that they were replaced 5 times at positions 3 and 4. Between the brake assembly replacements, worn tires were replaced because of flat spots or blowouts. The tires and the wheel assemblies were replaced 13 times on positions 1 and 2, and they were replaced 11 times on positions 3 and 4.

    At the time of the accident, the brake assemblies at positions 1 and 2 accumulated more hours between replacements than typically recorded historically and might have contributed to decrease the piston seals' physical resistance to the excessive heat and cause leakage during the occurrence. The brake assemblies are not limited by calendar and cycles and are replaced when required by wear and leaks.

    1.17.2.3 Brakes of similar design

    BFGoodrich indicated that brakes of similar design are manufactured and used on other aircraft of similar weight. The Metroliner wheels and brakes were derived from the equipment developed for the Beech 99 aircraft. A search of occurrence databases revealed no problems of brake/wheel overheating for the Beech 99 similar to that identified on the SA226 and SA227.

    2.0 Analysis

    2.1 Introduction

    The investigation determined that overheating of the left landing gear brakes during taxi and take-off caused a fire in the nacelle after gear retraction. The fire spread within the wing structure, leading to wing failure on final approach to land.

    The analysis focuses on two main areas. First, the analysis will review the sequence of events to assess the reactions of the individuals involved. Second, the analysis will examine what occurred before the brakes overheated.

    During the ground acceleration phase, the aircraft was pulling to the left. This was counteracted by the use of right rudder to maintain take-off alignment. Once in the air, the crew faced many abnormalities in very short time. They were faced with hydraulic problems, apparent engine problems, flight control abnormalities, wing overheating, and what appeared to be an engine fire. At this point, the crew did not associate the aircraft performance on take-off with the anomalies that they were troubleshooting. The analysis will examine why the crew might not have been alerted to the dragging brake condition.

    2.2 Take-off

    There was fog in the area but no precipitation. The amount of moisture in the air would not materially affect the friction between the tires and the runway. Thus, reduced friction can be discounted as a factor in the aircraft's tendency to pull to the left. The light crosswind from the right, if it had any effect, would have tended to weathercock the aircraft to the right. During ground acceleration on take-off, the aircraft pulled to the left, and right rudder was required to keep the aircraft straight. Because increased airspeed makes flight controls more effective, usually less right rudder is required to keep straight during acceleration. The take-off roll was estimated to be about twice as long as that calculated for the conditions, and the time to rotation was determined to be about 6 seconds longer than the calculated time of 21 seconds. The pull to the left and the length of the take-off roll indicate that the left brake was dragging; subsequent examination of the left brake assembly confirmed this. Neither the aircraft's pull to the left nor the length of the take-off roll prompted the crew to take any action other than to continue the take-off. These cues were not strong enough to elicit a reject response from the crew.

    The crew apparently did not suspect that the left brakes had dragged and overheated during the take-off: they retracted the landing gear immediately after take-off. Thus, the overheated brake and wheel assembly was retracted into the enclosed wheel well, where the heat was dissipated to the tire and the surrounding structures, eventually causing a fire. The aircraft was not equipped with a means to alert the crew of overheated brakes. When the aircraft was certified, brake overheat detection systems were not required; they still are not required for this class of aircraft.

    During the investigation, consideration was given to the possibility of an ergonomic problem related to the position of the pedals on this aircraft. There was a possibility that, because of his physical size, the first officer could have inadvertently depressed the upper part of the pedals. However, the ergonomic study established that there was sufficient pedal adjustment to suit individuals of any size.

    2.3 Loss of main hydraulics

    It was not determined why there was a loss of main hydraulics; however, the loss was undoubtedly related to the fire or intense heat in the wheel well. Heat could have ruptured hydraulic hoses or damaged seals in the hydraulic components, to the extent that hydraulic pressure and fluid were lost.

    2.4 Continuous ignition

    The orange light for the left engine would have told the crew that the engine, which normally does not require ignition after it is started, was under continuous ignition. Continuous ignition in flight normally follows a flame-out and leads to the automatic quick relight of the engine. Post-accident examination of the left engine did not reveal any deficiencies that could have prevented it from operating normally.

    Two plausible explanations exist for the continuous ignition light. One is that the fire in the nacelle damaged the electrical circuit controlling the ignition system. The other is false contact in the landing gear squat switches, indicating to the system that the aircraft was on the ground and thus engaging continuous ignition.

    2.5 Wing overheat warning light

    The left wing overheat light came on approximately 1½ minutes after the indication of hydraulic failure. The light's continuous rather than flashing illumination indicated overheating in the wheel well or the air conditioning duct. Before the crew initiated the checklist procedures, the light went out, indicating that the wing was no longer overheating. However, the light very likely went out not because the overheating problem was corrected but because the fire in the wheel well destroyed the warning system electrical circuit.

    2.6 Air traffic control

    When the crew confirmed that they wanted to land at Mirabel Airport, the choice of runways was limited because of the aircraft's speed and altitude. Runway 24 was a good choice in view of the distance to be covered, the procedure to be completed, and the time required for the crew to put in place the parameters required for the approach (such as speed, altitude, and radio frequency selection). In addition, the choice of runway fulfilled the criteria noted in training that the controller had recently received and allowed the crew to follow a known profile, namely downwind for the active runway.

    2.7 Aircraft break-up and impact sequence

    Indications of progressing damage to the left wing were subtle: the ailerons were not responding normally; the wing overheat light illuminated; a panel, normally covering the engine exhaust nozzle, was missing from the upper side of the wing; and the left engine fire became visible.

    The initial event in the break-up sequence was the failure of the front wing spar, caused by intense heat. The twisting motion of the rear spar suggests that its failure was subsequent to the upwards failure of the front spar. Asymmetrical lift then caused the aircraft to rotate left on the longitudinal axis through the left wing wheel well. This rotation released the left landing gear pivot pin, thereby allowing the landing gear to fall onto the runway, gouging the runway surface. The rotation of the fuselage to the left might have initiated a moment to the right, which might account for the landing gear being found on the right side of the runway. The aircraft then struck the runway on its left side.

    The aircraft's weight crushed the left wing tip and might account for the scrape marks observed on the wing. The aircraft then slid to the left and exited the runway. The engine, then the left wing, separated from the rest of the fuselage, which continued its course and came to rest inverted. Firefighters responded rapidly but were unable to save anyone.

    2.8 Medicine and pathology

    Examination of the passengers revealed that some sustained injuries from fire or toxic gas inhalation. Although more stringent requirements might not have prevented these fatalities, combustion of the seats and the production of toxic gases (as a by-product of combustion) could have been delayed if more stringent requirements had been in effect.

    2.9 Ignition source

    Examination of all the debris in the area of the left landing gear revealed that the source of ignition originated in the two left brake assemblies. Examination of the components of the left brakes revealed significant heat damage to both discs, both brake piston housings, the torque plates, the piston insulators, and the carrier, lining, and button assemblies. The heat was generated by friction in the left brake system during the take-off run. The discolouration observed on the brake discs indicates that they reached at least 600°C for an extended period. The uniformity of the discolouration and the dragging marks on both sides of both left discs indicate that there was brake pressure at the wheels, sufficient to cause overheating during taxi and the take-off roll.

    For dragging to occur in the components of both brake assemblies at the same time, the problem must have originated upstream of the brakes. All system components involved were examined against several criteria to identify any failure, poorly adjusted linkages, incompatible parts, or part malfunction. Some deficiencies were identified in the master cylinders, but none of those deficiencies was found to have caused brake system pressure to be maintained. Two models of master cylinder were installed in each of the two brake systems. In the circumstances, it was essential to examine whether they were adjusted to manufacturer specifications and whether there was a possibility of interference that could have caused the brake pressure to lock on. The examination revealed no such problems.

    Examination of the brake shuttle valves revealed no deficiencies. The tests regarding the centring of the shuttle valves with both crew simultaneously applying equal brake pedal pressure were inconclusive.

    Numerous tests were conducted to demonstrate that residual pressure as low as 50 psi in the brake system could cause dragging and subsequent overheating of the brake components during the take-off run. This overheating, transferred to the fluid in the brake lines, causes the fluid to expand, thereby increasing pressure in the brake system. This increased pressure further aggravates dragging and overheating to the point where normal operating temperatures are exceeded. The crew would unlikely notice an initial braking pressure of 50 psi during the take-off run.

    After the gear was retracted, the heated brakes were in an enclosed space close to hydraulic lines, air and fuel lines, and several other lines and electrical wires. With limited cooling, the temperature of the brake assembly components continued to rise. Dynamometer tests demonstrated that over a distance of 6135 feet, with a pressure of 50 psi, the carrier, lining, and button assembly and the brake disc could generate temperatures exceeding 450°C. Since Nitrile piston seals start to degrade above 135°C, the likelihood increased of a brake fluid leak in one of the brake assemblies. Under these conditions, the contaminated fluid would have self-ignited at temperatures exceeding 425°C, as shown in the laboratory tests. The tires ignited when exposed to flame. These conditions were sufficient to perpetuate the cycle and continue to raise the temperature in the wheel well, causing the aircraft hydraulic system to fail and damaging electrical wiring and all other systems in the wheel well. This partial destruction of the aircraft systems in the wheel well links the pieces of apparently unrelated information that the crew had to deal with in this occurrence. The dragging caused overheat and leakage at one of the piston seals that retain the brake hydraulic fluid.

    The left wing was weakened by the wing/engine fire and failed, rendering the aircraft uncontrollable. The subsequent break-up of the wing caused the fuel to expel from the tanks and spread fire to all the aircraft. The firefighters quickly controlled the fire, but all occupants were fatally injured by impact forces and inhalation of combustible products or soot.

    3.0 Findings

    3.1 Findings as to causes and contributing factors

    1. The crew did not realize that the pull to the left and the extended take-off run were due to the left brakes' dragging, which led to overheating of the brake components.
    2. Dragging of the left brakes was most probably caused by an unidentified pressure locking factor upstream of the brakes on take-off. The dragging caused overheating and leakage, probably at one of the piston seals that retain the brake hydraulic fluid.
    3. When hydraulic fluid leaked onto the hot brake components, the fluid caught fire and initiated an intense fire in the left nacelle, leading to failure of the main hydraulic system.
    4. When the L WING OVHT light went out, the overheating problem appeared corrected; however, the fire continued to burn.
    5. The crew never realized that all of the problems were associated with a fire in the wheel well, and they did not realize how serious the situation was.
    6. The left wing was weakened by the wing/engine fire and failed, rendering the aircraft uncontrollable.

    3.2 Findings as to risk

    1. Numerous previous instances of brake overheating or fire on SA226 and SA227 aircraft had the potential for equally tragic consequences. Not all crews flying this type of aircraft are aware of its history of numerous brake overheating or fire problems.
    2. The aircraft flight manual and the emergency procedures checklist provide no information on the possibility of brake overheating, precautions to prevent brake overheating, the symptoms that could indicate brake problems, or actions to take if overheated brakes are suspected.
    3. More stringent fire-blocking requirements would have retarded combustion of the seats, reducing the fire risk to the aircraft occupants.
    4. A mixture of the two types of hydraulic fluid lowered the temperature at which the fluid would ignite, that is, below the flashpoint of pure MIL-H-83282 fluid.
    5. The aircraft maintenance manual indicated that the two hydraulic fluids were compatible but did not mention that mixing them would reduce the fire resistance of the fluid.

    3.3 Other findings

    1. The master cylinders were not all of the same part number, resulting in complex linkage and master cylinder adjustments, complicated overall brake system functioning, and difficult troubleshooting of the braking system. However, there was no indication that this circumstance caused residual brake pressure.
    2. The latest recommended master cylinders are required to be used only with specific brake assembly part numbers, thereby simplifying adjustments, functioning, and troubleshooting.
    3. Although the emergency checklist for overheating in the wing required extending the landing gear, the crew did not do this because the wing overheat light went out before the crew initiated the checklist.
    4. The effect of the fire in the wheel well made it difficult to move the ailerons, but the exact cause of the difficulty was not determined.

    4.0 Safety action

    4.1 Action taken

    On 26 October 1998, the TSB issued five recommendations covering several aspects of the investigation, as follows.

    4.1.1 Overheating in wheel well and wing

    The Board believes that to help ensure the safety of the crew and the passengers on Fairchild/Swearingen SA226 and SA227 Metroliners, the definitive operating manual—the aircraft flight manual (AFM) for these aircraft—must be amended. Furthermore, both ab initio and recurrent training for aircrew on these aircraft should include instruction on the handling of overheated brakes and wheel well fires. In this vein, the Board believes that the AFM will require amendments to reflect the following, inter alia:

    • the susceptibility of the brake system on Metroliners to overheating, the precautions to deal with or prevent overheating, the symptoms of potential problematic brake systems, and the fact that overheated brakes can cause wheel well fires
    • that a L or R WING OVHT warning light may indicate a wheel well fire and that there are other key symptoms associated with the L or R WING OVHT light that are indicative of an on-board fire
    • the actions to be followed in conjunction with the emergency procedure for wheel well and wing overheat warning light ON to effectively handle the possibility of a wheel well fire

    The US Federal Aviation Administration (FAA), as the regulatory body in the State of the aircraft manufacturer, has primary responsibility for mandating and approving revisions to the AFM. On 26 October 1998, the US National Transportation Safety Board (NTSB), in coordination with the TSB, submitted six recommendations to the FAA in this regard. Transport Canada (TC) has communicated with the FAA concerning amendments to the AFM and to checklists. The Board recommended as a matter of urgency that:

    • Transport Canada consult with the Federal Aviation Administration regarding a timely amendment of the Aircraft Flight Manual for the Fairchild/Swearingen SA226 and SA227 Metroliner to have the Manual specify the risk of wheel well fires caused by overheated brakes, and include procedures both to mitigate this risk and address emergency situations of actual and potential wheel well fires.

      A98-02

    4.1.2 Brake overheat detection and wheel well vulnerability

    The Fairchild/Swearingen SA226/SA227 Metroliners do not have a brake temperature monitoring or overheat detection system. Under current regulations, these systems are not required for certification. Such systems, especially in an aircraft with wheel brake systems that are susceptible to overheating, would allow aircrew to monitor the temperature of the wheel brakes and take appropriate precautions to prevent overheating or to preclude the inadvertent raising, into the wheel well, of main landing gear with overheated brakes.

    As noted previously, post-accident examination of the occurrence aircraft determined that a pre-crash fire had occurred in the left main landing gear wheel well. This was shown by burned tires, melted aluminum hydraulic and fuel lines and fittings, and a fire-damaged rubber fuel crossover line. Additional damage to the wheel well, especially to the fuel and hydraulic lines, might have also resulted from bursting tires, since the wheels on the main landing gear of Fairchild/Swearingen SA226 aircraft do not incorporate fuse plugs (which melt when hot, giving a controlled release of tire pressure built up from the heat). If so, flammable fluids flowing from melted or damaged aluminum hydraulic and fuel lines, and the rubber fuel crossover line, would have further fuelled a fire.

    TC issued Commercial and Business Aviation Advisory Circular (CBAAC) No. 0146, dated 16 September 1998, to alert Canadian flight crew and operators of these aircraft to the hazard associated with overheating of the brake system. CBAAC No. 0146 outlines the warnings and other possible abnormal aircraft indications associated with known Metroliner brake overheat / wheel well fires, explains the wheel well and wing overheat warning light system, specifies actions to be taken at the first indication of the wing overheat annunciator light, and highlights the susceptibility of the Metroliner brakes to overheating and the conditions for suspecting potential brake system overheating. The CBAAC also states that TC has communicated a recommendation to the aircraft manufacturer; in fact, TC communicated with the FAA regarding amendments to the AFM and to checklists.

    The measures outlined in CBAAC No. 0146 and associated with the above recommendation focus on risk reduction through enhanced awareness of the hazard and improved operational practices to deal with possible or actual fires. However, the Board believes that additional preventive actions can be taken in the aircraft's systems to minimize the likelihood and severity of a fire in the wheel well. Therefore, the Board recommended that:

    Transport Canada, in consultation with the Federal Aviation Administration and the aircraft manufacturer, explore options for the installation of a brake temperature or overheat detection system on Fairchild/Swearingen SA226 and SA227 aircraft; and
    Transportation Safety Recommendation A98-03

    Transport Canada, in consultation with the Federal Aviation Administration and the aircraft manufacturer, explore means to protect or otherwise harden the hydraulic and fuel lines in wheel wells to minimize the damage to these lines in the event of bursting tires or wheel well fires.
    Transportation Safety Recommendation A98-04

    4.1.3 Mixing of hydraulic fluids

    Analysis of fluid from the accident aircraft's main and brake hydraulic systems revealed a mixture of MIL-H-83282 and MIL-H-5606 hydraulic fluids. These hydraulic fluids are nearly identical in colour and consistency. The mixture had a flashpoint of approximately 114°C (239°F).

    The SA226 and SA227 specification originally called for MIL-H-5606, with a minimum flashpoint of 82°C, to be used in the aircraft's main and brake hydraulic systems. However, after two Swearingen SA226-TC Metroliner II cockpit fire accidents in which the MIL-H-5606 hydraulic fluid was involved, the FAA issued Airworthiness Directive (AD) 83-19-02, applicable to certain Swearingen SA226 airplanes, including the Mirabel accident airplane. The AD required that operators drain and purge the main hydraulic and brake system reservoirs, refill them with MIL-H-83282 hydraulic fluid with a minimum flashpoint of 205°C, and change the placards on both reservoirs to specify the MIL-H-83282 fluid. The accident aircraft was placarded in accordance with AD 83-19-02.

    Current maintenance instructions state that MIL-H-83282 is to be used in the main and brake hydraulic systems of the aircraft. However, there is no reference to indicate that MIL-H-83282 is used because of the higher temperature at which its vapours will ignite or that a mixture of MIL-H-83282 and MIL-H-5606 can have a significantly lower flashpoint than the 205°C flashpoint for pure MIL-H-83282. Given that MIL-H-5606 was the original specified fluid for SA226 and SA227 aircraft, that MIL-H-5606 and MIL-H-83282 are similar in appearance and most properties, and that there are no cautions about the consequences of using a mixture of the two fluids, the Board believes that MIL-H-5606 is being mistakenly used by some air operators and aircraft maintenance engineers as an alternative hydraulic fluid in systems requiring MIL-H-83282. Therefore, in view of the increased risk of fire occurring on Fairchild/Swearingen SA226 and SA227 aircraft resulting from the incorrect use of MIL-H-5606 hydraulic fluid, the Board recommended that:

    • Transport Canada, as a matter of urgency, notify all Canadian operators of Fairchild/Swearingen SA226 and SA227 aircraft of the importance of, and requirement for, using only MIL-H-83282 hydraulic fluid in the main and brake hydraulic systems of these aircraft.
      Transportation Safety Recommendation A98-05

    • Transport Canada, in consultation with the Federal Aviation Administration and the aircraft manufacturer, review the adequacy of existing aircraft standards, procedures, manuals and maintenance practices for the Fairchild/Swearingen SA226 and SA227 aircraft with an aim to ensuring that only MIL-H-83282 hydraulic fluid is used in the main and brake hydraulic systems of these aircraft.
      Transportation Safety Recommendation A98-06

    4.2 Responses to recommendations

    4.2.1 General

    TC concurred with recommendations A98-02, A98-03, and A98-04. TC's Aircraft Certification Branch requested an AFM amendment from the FAA to provide more direction and information on wheel well fires. TC also issued a CBAAC to all Metroliner operators in Canada. The CBAAC effectively provides information and guidance to pilots on wheel well fires.

    In addition, the NTSB issued recommendations to the FAA similar to the TSB's recommendations A98-02, A98-03, and A98-04. TC forwarded the TSB recommendations to the FAA for review, comment, and action, in conjunction with review of the NTSB recommendations. The FAA's responses to these TSB recommendations are outlined below.

    4.2.2 Response to recommendation A98-02 (NTSB A-98-115)

    Fairchild has released FAA-approved airplane flight manual changes that expand the "Wheel well and Wing overheat light on" material in Section 3, "Emergency Procedures", for the SA226 and SA227 aircraft. Subsequently, TC mandated these revisions for Canadian-registered aircraft. TC considers this recommendation closed.

    4.2.3 Response to recommendation A98-03 (NTSB A-98-116)

    The FAA has investigated and evaluated a temperature monitoring or overheat system on the SA226 and SA227 aircraft and concluded that such an installation would be cost prohibitive.

    Although this recommendation was not adopted, other action has been taken to reduce the probability of overheated brakes occurring during take-off. FAA AD 2000-17-01 was released on the 22 August 2000, with an effective date of 06 October 2000. This AD mandates compliance with Fairchild service bulletins (SBs) 227-32-017 and 226-32-049 to modify the parking brake system and with BFGoodrich SB 1498 to revise the inspection brake wear and clearance limits. Additionally, the FAA released AD 2001-20-14, which mandates Fairchild SBs 226-26-003 and 227-26-002. Effective after 21 November 2001, this AD is designed to correct potential brake shuttle valve problems, which could cause the brake assembly to drag and overheat. These actions are intended to prevent brake overheating, not to detect brake overheating. TC has mandated these ADs for Canadian-registered aircraft and considers this recommendation closed.

    4.2.4 Response to recommendation A98-04 (NTSB A-98-118)

    TC advises that the FAA has responded by issuing ADs 2000-14-01 and 2001-20-14. These ADs incorporate modifications to the parking brake system, establish brake wear and clearance limits, replace the brake shuttle valve, replace a rubber fuel hose with a metal device, and install a shield over the hydraulic lines. TC mandated the ADs for Canadian-registered aircraft.

    4.2.5 Response to recommendation A98-05

    TC concurred with recommendation A98-05 and issued an airworthiness notice titled "Hazards of Incorrectly Identifying or Mixing Aircraft Fluids" to the aviation industry.

    4.2.6 Response to recommendation A98-06

    TC concurred with recommendation A98-06 and consulted with the FAA regarding the adequacy of existing aircraft standards, procedures, manuals, and maintenance practices for the Fairchild/Swearingen SA226 and SA227 aircraft. The aim of this review was to ensure that only the specified hydraulic fluid (MIL-H-83282), where usage of this fluid type applies, is used in the hydraulic systems of these aircraft.

    TC confirms that Fairchild, in coordination with the FAA, has amended the SA226 and SA227 maintenance manuals to include warnings that reinforce the prohibition of fluid mixing.

    The FAA had earlier issued AD 83-19-02, which required purging lower flashpoint hydraulic fluid from the aircraft's hydraulic systems and substituting higher flashpoint MIL-H-83282 hydraulic fluid. The AD also required installation of a placard specifying that only MIL-H-83282 fluid be used.

    4.3 Action required

    4.3.1 Brake system pressure warning indicator

    The Propair crew took off unaware that residual brake pressure remained on the left brake system during the taxi and the take-off roll. During the take-off roll, the heat generated by the friction of the left dragging brake increased exponentially. This extreme heat resulted in brake seal failure, brake fluid leak on the hot brake components, and ignition and fire in the wheel well, eventually causing failure of the wing structure in flight.

    From 1983 to present, a large number of incidents and a few accidents involving landing gear failures, tire failures, flat tires, wheel fires, and loss of control on ground have been reported for these types of aircraft. Of this number, 62 incidents and 3 accidents involving circumstances similar to those found in this accident have been reported. Some of the incidents and accidents had the potential to result in a catastrophe similar to this accident.

    For the most part, the Board's recommendations resulting from this occurrence were directed at minimizing the consequences of such an occurrence and at providing better information to the crews about recognizing the symptoms of a wheel well fire. However, one recommendation dealt with the installation of a brake temperature system to provide timely overheat information to the crew. This recommendation was negatively received as being too costly to implement in view of the expected remaining life of the aircraft.

    In spite of the risk controls implemented to date, flight crews are still not provided with an unambiguous alert of a dragging brake condition caused by residual hydraulic pressure in the brake system. Failure to identify and warn the crew about a dragging brake in a timely manner will result in a continued high risk of fire with possible ensuing loss of life and property. The brake system manufacturer has indicated that a brake pressure cockpit indicator for each wheel brake system is feasible.

    Therefore, the Board recommends that:

    Transport Canada, the United States Federal Aviation Administration, and Fairchild explore options for SA226 and SA227 aircraft to be equipped with a brake pressure warning indicator for each main wheel brake system.
    Transportation Safety Recommendation A02-03

    This report concludes the Transportation Safety Board's investigation into this occurrence. Consequently, the Board authorized the release of this report on .

    Appendices

    Appendix A—Flight track of Propair 420

    Appendix A - Flight track of Propair 420
    Image
    Appendix A - Flight track of Propair 420

    Appendix B—List of supporting reports

    The following TSB Engineering Laboratory Reports were completed:

    • LP 78/98—CVR Examination
    • LP 86/98—Structures Group Report
    • LP 18/99—Spring Washer Failure

    These reports are available upon request from the Transportation Safety Board of Canada.

    Appendix C—Glossary

    AD
    Airwordtiness Directive
    AFM
    aircraft flight manual
    asl
    above sea level
    ATC
    air traffic control
    ATC MANOPS
    Air Traffic Control Manual of Operations
    AUTO/CONT
    automatic/continuous
    CBAAC
    Commercial and Business Aviation Advisory Circular
    CVR
    cockpit voice recorder
    FAA
    Federal Aviation Administration
    FAR
    Federal Aviation Regulation
    fps
    feet per second
    hr
    hours
    L
    left
    L or R HYD PRESS
    left or right hydraulic pressure
    L or R WING OVHT
    left or right wing overheat
    METAR
    aviation routine weadter report
    min
    minutes
    nm
    nautical miles
    NORM
    normal
    NTSB
    National Transportation Safety Board
    OVRD
    override
    psi
    pounds per square inch
    R
    right
    RFS
    Rapco Fleet Support Inc.
    rpm
    revolutions per minute
    SB
    Service Bulletin
    sec
    seconds
    sm
    statute mile(s)
    TC
    Transport Canada
    TN
    true Nordt
    TSB
    Transportation Safety Board of Canada
    TWR
    tower
    US
    United States
    UTC
    Coordinated Universal Time
    feet
    °C
    degrees Celsius
    °F
    degrees Fahrenheit